News: Problem bei der Anmeldung? Bitte Mail über das Kontaktformular ganz unten! | garten-pur unterstützen mit einer Spende oder über das Partnerprogramm!

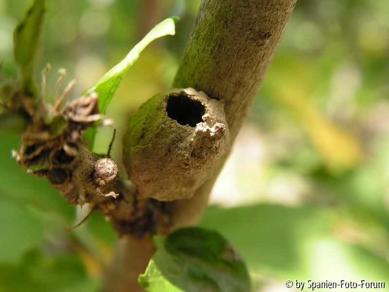
Bildname: unbekannter Insektenbau

unbekannter Insektenbau
Benutzeravatar
faunaiberica
Beiträge: 66
Registriert: 20. Sep 2007, 15:46

Bildname: unbekannter Insektenbau

15. Okt 2008, 15:10
154
Noch keine Kommentare

Zurück zu „makros“