
News: Problem bei der Anmeldung? Bitte Mail über das Kontaktformular ganz unten! | garten-pur unterstützen mit einer Spende oder über das Partnerprogramm!
Heidelbeeren (Gelesen 104983 mal)
Moderator: cydorian
- cat1
- Beiträge: 1057
- Registriert: 18. Feb 2024, 20:10
- Wohnort: OÖ
- Winterhärtezone: 7b: -14,9 °C bis -12,3 °C
Re: Heidelbeeren
Meine neue Heidelbeere im Topf hat gute Blätter bekommen und blüht gerade. Heute allerdings habe ich gesehen, dass viele Blüten am Boden liegen. Was könnte das sein ??? Können Amseln dafür verantwortlich sein?


Illustrent flagrantes viam pontes
Honi soit qui mal y pense
Honi soit qui mal y pense
- jardin
- Beiträge: 825
- Registriert: 5. Jul 2015, 12:22
- Wohnort: östl. Ruhrgebiet
- Höhe über NHN: 157
- Bodenart: lehmig
- Winterhärtezone: 8a: -12,2 °C bis -9,5 °C
Re: Heidelbeeren
Das sind doch nur die Blütenblätter. ;)
- cat1
- Beiträge: 1057
- Registriert: 18. Feb 2024, 20:10
- Wohnort: OÖ
- Winterhärtezone: 7b: -14,9 °C bis -12,3 °C
Re: Heidelbeeren
Oh, danke, da bin ich beruhigt! Aber sollte ich nicht bald Beeren sehen? Wie erkenne ich, ob diese Blüten bestäubt worden sind?
Illustrent flagrantes viam pontes
Honi soit qui mal y pense
Honi soit qui mal y pense
- jardin
- Beiträge: 825
- Registriert: 5. Jul 2015, 12:22
- Wohnort: östl. Ruhrgebiet
- Höhe über NHN: 157
- Bodenart: lehmig
- Winterhärtezone: 8a: -12,2 °C bis -9,5 °C
Re: Heidelbeeren
Die Beeren fangen bald an zu wachsen, falls die Blüte bestäubt wurde.
-
- Beiträge: 260
- Registriert: 16. Jan 2022, 15:00
Re: Heidelbeeren
Ich habe 5 Heidelbeeren, die alle (bis auf die Rubel ) reichlich geblüht haben.
Eine, die Bluesbrothers bildet aber irgendwie kaum Blätter, während die anderen gut belaubt sind seit ein paar Wochen.
Sie stehen alle nebeneinander im gleichen, erhöhten Beet, das vor einem Jahr mit Rhododendrenerde errichtet wurde.
Wurde vielleicht mal der Neuaustrieb von Tieren abgesnackt und jetzt tut sie sich schwer mit neuen Blättern? Weil die paar Blätter die da sind und geschafft haben groß zu werden sehen ok aus.
Eine, die Bluesbrothers bildet aber irgendwie kaum Blätter, während die anderen gut belaubt sind seit ein paar Wochen.
Sie stehen alle nebeneinander im gleichen, erhöhten Beet, das vor einem Jahr mit Rhododendrenerde errichtet wurde.
Wurde vielleicht mal der Neuaustrieb von Tieren abgesnackt und jetzt tut sie sich schwer mit neuen Blättern? Weil die paar Blätter die da sind und geschafft haben groß zu werden sehen ok aus.
-
- Beiträge: 260
- Registriert: 16. Jan 2022, 15:00
- thuja thujon
- Beiträge: 21831
- Registriert: 28. Apr 2016, 21:50
- Region: Gemüsegarten Vorderpfalz
- Höhe über NHN: 90
- Winterhärtezone: 8b: -9,4 °C bis -6,7 °C
Re: Heidelbeeren
Evtl. ist die einfach nur durch zu viele Früchte überlastet und möchte deshalb nicht wachsen. Als ich gepflanzt hatte, habe ich bei den jungen Sträuchern erstmal alle Blütentriebe weggeschnitten um 2-3 kräftige Blatttriebe zu bekommen. Wenn die Pflanze so gestärkt ist, tut sie sich im Folgejahr mit dem Fruchten viel einfacher.
Selten gibt es auch mal Verhockerli, die wollen einfach nicht richtig wachsen. Aber das ist selten, wenn drumrum alles stimmt.
Selten gibt es auch mal Verhockerli, die wollen einfach nicht richtig wachsen. Aber das ist selten, wenn drumrum alles stimmt.
gesundes und krankes Gemüse in Amish-Qualität
-
- Beiträge: 260
- Registriert: 16. Jan 2022, 15:00
Re: Heidelbeeren
Die Pflanzen hab ich so 1,5 Jahre, seit genau 1Jahr in diesem Beet.
Aber eventuell nehme ich ihr mal ein paar Fruchtstände weg, vielleicht passiert dann was. Danke für die Einschätzung und den Hinweis.
Im Vergleich dazu die Nachbarin Brigitta Blue, die andern sehen auch so aus wie die Brigitta. Die Rubel wächst etwas schwächer und kaum verzweigt, aber das schiebe ich bei ihr darauf, dass sie ein bisschen anders ist als die heutigen kulturheidelbeeren. Sonst sieht sie auch gesund aus.
Aber eventuell nehme ich ihr mal ein paar Fruchtstände weg, vielleicht passiert dann was. Danke für die Einschätzung und den Hinweis.
Im Vergleich dazu die Nachbarin Brigitta Blue, die andern sehen auch so aus wie die Brigitta. Die Rubel wächst etwas schwächer und kaum verzweigt, aber das schiebe ich bei ihr darauf, dass sie ein bisschen anders ist als die heutigen kulturheidelbeeren. Sonst sieht sie auch gesund aus.
- thuja thujon
- Beiträge: 21831
- Registriert: 28. Apr 2016, 21:50
- Region: Gemüsegarten Vorderpfalz
- Höhe über NHN: 90
- Winterhärtezone: 8b: -9,4 °C bis -6,7 °C
Re: Heidelbeeren
Die hat auf jeden Fall mal noch wachsende Triebe oben.
Das beste ist, wenn sie auch aus der Basis unten einen neuen Trieb schieben. Das sorgt für kontinuierliche Ernten.
Ich habe so einen Mickerling, der wollte noch nie richtig wachsen. Vorne mittig im Bild. Dran ziehen hilft nicht, sonst kann man aber auch nicht viel machen. Ich lasse ihn halt stehen, man hätte die Pflanze aber auch schon nach dem ersten Jahr auswechseln können. Langsam wird es besser mit dem Wuchs, aber wirklich da ist sie nicht.
Das beste ist, wenn sie auch aus der Basis unten einen neuen Trieb schieben. Das sorgt für kontinuierliche Ernten.
Ich habe so einen Mickerling, der wollte noch nie richtig wachsen. Vorne mittig im Bild. Dran ziehen hilft nicht, sonst kann man aber auch nicht viel machen. Ich lasse ihn halt stehen, man hätte die Pflanze aber auch schon nach dem ersten Jahr auswechseln können. Langsam wird es besser mit dem Wuchs, aber wirklich da ist sie nicht.
gesundes und krankes Gemüse in Amish-Qualität
-
- Beiträge: 260
- Registriert: 16. Jan 2022, 15:00
Re: Heidelbeeren
Schöne Heidelbeersammlung hast du da :) gibt bestimmt eine gute Ernte!
Dann streichel ich mal noch was die Bluesbrothers und Klau ihr ein paar Fruchtstände und warte mal ob sie noch loslegt.
Ich hoffe dieses Jahr lassen die Vögel was über… Heute latschte ne Taube über das Beet und prüfte schon mal vorsorglich alle Heidelbeersträucher und Cranberries….
Dann streichel ich mal noch was die Bluesbrothers und Klau ihr ein paar Fruchtstände und warte mal ob sie noch loslegt.
Ich hoffe dieses Jahr lassen die Vögel was über… Heute latschte ne Taube über das Beet und prüfte schon mal vorsorglich alle Heidelbeersträucher und Cranberries….
-
- Beiträge: 260
- Registriert: 16. Jan 2022, 15:00
Re: Heidelbeeren
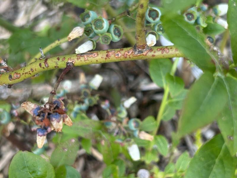
Huhu,
Könnt ihr nochmals auf meine Heidelbeeren schauen?
Sind diese Rindenverfärbungen normal?
Da 3 meiner 5 Heidelbeeren etwas unwillig große Blätter ansetzen, möchte ich da nochmal sicher gehen.
Nicht dass da doch etwas pilziges oder so gedeiht was da Nix zu suchen hat.
Hab mal von Fruchtfäule gelesen, was auch auf die Rinde geht und diese später zum Aufreißen bringt.
Danke für eure Meinungen schon mal!
Könnt ihr nochmals auf meine Heidelbeeren schauen?
Sind diese Rindenverfärbungen normal?
Da 3 meiner 5 Heidelbeeren etwas unwillig große Blätter ansetzen, möchte ich da nochmal sicher gehen.
Nicht dass da doch etwas pilziges oder so gedeiht was da Nix zu suchen hat.
Hab mal von Fruchtfäule gelesen, was auch auf die Rinde geht und diese später zum Aufreißen bringt.
Danke für eure Meinungen schon mal!
-
- Beiträge: 260
- Registriert: 16. Jan 2022, 15:00
- thuja thujon
- Beiträge: 21831
- Registriert: 28. Apr 2016, 21:50
- Region: Gemüsegarten Vorderpfalz
- Höhe über NHN: 90
- Winterhärtezone: 8b: -9,4 °C bis -6,7 °C
-
- Beiträge: 260
- Registriert: 16. Jan 2022, 15:00
Re: Heidelbeeren
Ok also leider wie vermutet.
Was macht man dagegen?
Sie stehen sonnig bis 17uhr, luftig rundherum, Boden ist feucht.
Die Triebe runterschneiden hilft glaub ich nicht, weil das, sofern man das sehen kann bis unten hin reicht.
Oder kann man das ignorieren?
Durch 8Monate Dauerregen waren sie halt ab letztes Jahr Juni ständig feucht.
Was macht man dagegen?
Sie stehen sonnig bis 17uhr, luftig rundherum, Boden ist feucht.
Die Triebe runterschneiden hilft glaub ich nicht, weil das, sofern man das sehen kann bis unten hin reicht.
Oder kann man das ignorieren?
Durch 8Monate Dauerregen waren sie halt ab letztes Jahr Juni ständig feucht.