News: Problem bei der Anmeldung? Bitte Mail über das Kontaktformular ganz unten! | garten-pur unterstützen mit einer Spende oder über das Partnerprogramm!

Kartoffeln 2025 (Gelesen 21894 mal)

Wurzelgemüse, Knollengemüse, Blattgemüse, Stielgemüse, Fruchtgemüse, Kohlgemüse
Antworten
Benutzeravatar
danielv8
Beiträge: 640
Registriert: 16. Mär 2014, 18:39
Kontaktdaten:

Re: Kartoffeln 2025

danielv8 » Antwort #60 am:

thuja thujon hat geschrieben: 12. Mär 2025, 12:14 Ich bekomme jetzt noch 2 Kisten Simonetta geschenkt.
Eigentlich ist der Garten schon voll, aber ein paar will ich doch noch probieren.
Sie liest sich zu gut mit der Lagereignung bei `vorzüglichem´ Geschmack
Hallo thuja thujon,

Simonetta wird dir sicherlich gefallen.
Ist seit 2Jahren eine unserer aktuellen Standartsorten.
Bemerkenswert ist die Ausfallsicherheit bzw. der Ertrag unter schlechten, nassen Bedingungen.
Selbst als kurz vor Schalenreife eines unserer Kartoffelbeete für eine Woche komplett unter Wasser stand und noch längere Zeit Schlammpampe war, hat diese als Einzigste noch einen normalen Ertrag.
Die anderen Sorten waren zum größten Teil ausgefallen und von den geernteten Knollen hatte viele im Lager die bakterielle Fäule ereilt.
Es handelte sich dabei größtenteils um "moderne" Sorten.
Von der Simonetta gab es kaum was im Lager auszusortieren.
Schachtelhalmi
Beiträge: 19
Registriert: 21. Nov 2021, 11:17
Region: Norddeutschland
Höhe über NHN: 56 Meter
Bodenart: lehmig
Winterhärtezone: 7b: -14,9 °C bis -12,3 °C

Re: Kartoffeln 2025

Schachtelhalmi » Antwort #61 am:

Hallo in die Runde,

ich bin auch leidenschaftlicher Kartoffel bzw. Kartoffelkübel Fan
Dieses Jahr bei mir wie immer (bis auf Rosa Tannenzapfen) stark Phytophthora resistente Sorten:

Oscar und Vitanoire von Plantera
Cammeo von Geersing Potato
Alouette und Carolus von Agrico
Und die gute alte Sarpo Mira

Alle werden in Kübeln (45L) oder Kartoffeltürmen mit 4x 14L angebaut.

Die Kartoffeltürme habe ich mit den Blumat Classic XL und einem 10L Eimer für die Wasserzufuhr ausgestattet. Regelmäßige Wasserzufuhr ist bei den kleinen Schalen unabdingbar.

Substrat:
Eine Schicht sehr grober frischer Kompost mit vielen Regenwürmern,
Dann 2 Hände voll Horngrieß
Dann 1-2 Kartoffeln (je nach Größe)
darüber eine Schicht gesiebter Kompost und zum Schluss eine Schicht Miscanthus Mulch damit die Feuchtigkeit in der Erde bleibt.

Ertrag letztes Jahr pro Ebene a 14L 1,1 bis 2,3 KG
Pro Turm a 4 Ebenen 5-9 KG je nach Sorte.
Grundfläche ca. 40x40cm
Standort Halbschattig, volle Sonne von ca. 11:00 bis 16:00 Uhr.

Die 45L Pflanzcontainer bringen bei einem Platzverbrauch von ca. 45-45cm bei 2-3 Pflanzkartoffeln je nach Sorte einen Ertrag von 4-6KG.
Standort Sonnig von ca. 09:00 bis 17:00 Uhr.

Die weitesten sind aktuell die Rosa Tannenzapfen.
Alle anderen wurden erst vor kurzen gelegt und schauen grad aus der Erde.

Die Kartoffeltürme sind auf Grundfläche gesehen bei richtiger Handhabung wirklich unschlagbar.
Unter der Voraussetzung:
Genügend Futter (Kompost, Horngrieß, Schafwollpellets)
Kein austrocknen des Substrates (permanente Bewässerung bzw. feuchthalten des Substrates ohne das Substrat zu spülen, nach langem Testen aktuell mit dem Zweckentfremdeten Blumat XL sehr zufrieden). Ein Blumat XL ist pro Ebene ausreichend (Wasserabgabe laut Hersteller maximal 200ml in 24 Stunden wenn der Wasserspiegel über der Oberkante Blumat liegt. Ich denke bei noch höherem Wasserspiegel wie beim Turm sicher 300-400ml. Im Hochsommer sind die 10L Eimer innerhalb von 5 Tagen fast leer. Praktisches nachgießen mit dem Gartenschlauch. Keinerlei weiterer Pflegeaufwand bis zur Ernte.
Und wichtig ist eine Mulchschicht von ca. 3-4cm! Idealerweise Miscanthus oder Biofaser.
Und auch sehr wichtig ist die Wahl der Sorte. Stark Kraut- und Bräunfäule resistente sind ideal.
Dateianhänge
IMG_5704.jpeg
IMG_5703.jpeg
Benutzeravatar
Mottischa
Beiträge: 4332
Registriert: 14. Apr 2018, 15:41
Region: Aller-LeineTal
Bodenart: Heidesand
Winterhärtezone: 8a: -12,2 °C bis -9,5 °C

Re: Kartoffeln 2025

Mottischa » Antwort #62 am:

Hm.. ich hätte nur 90l Maurerkübel zur Verfügung.
Ich verstehe nicht, wie man an einem Baum vorübergehen kann, ohne dabei glücklich zu sein. (Fjodor Dostojewskij)
Benutzeravatar
thuja thujon
Beiträge: 22546
Registriert: 28. Apr 2016, 21:50
Region: Gemüsegarten Vorderpfalz
Höhe über NHN: 90
Winterhärtezone: 8b: -9,4 °C bis -6,7 °C

Re: Kartoffeln 2025

thuja thujon » Antwort #63 am:

danielv8 hat geschrieben: 5. Mai 2025, 17:59Simonetta wird dir sicherlich gefallen.
Bis jetzt mal ja. Das Laub steht recht gedrungen da und ist nicht so verspargelt wie bei Annabelle.
Das mit der Staunässe ist gut zu wissen, auch wenn die hier eher selten vorkommt. Die Dämme sind schon vorsorglich gut angelegt worden. Wird ja nicht besser mit dem Wetter, da muss man vorbeugen.
Bin auch auf das Knollennest, Anfälligkeit für Blattläuse und Kartoffelkäfer gespannt. Hier gibts viele Gärtner mit Auberginen, die schaffen es die Käferpopulation trotz 4 Jahren Anbaupause auf den Kartoffelfeldern drumrum hoch zu halten bzw zu vermehren.

Geschmacklich muss sie sich noch bewähren. Ich kenne sie bis jetzt nur von einem Boden, auch ein Carbonatreicher, da war sie ganz ok/gut.
gesundes und krankes Gemüse in Amish-Qualität
Benutzeravatar
thuja thujon
Beiträge: 22546
Registriert: 28. Apr 2016, 21:50
Region: Gemüsegarten Vorderpfalz
Höhe über NHN: 90
Winterhärtezone: 8b: -9,4 °C bis -6,7 °C

Re: Kartoffeln 2025

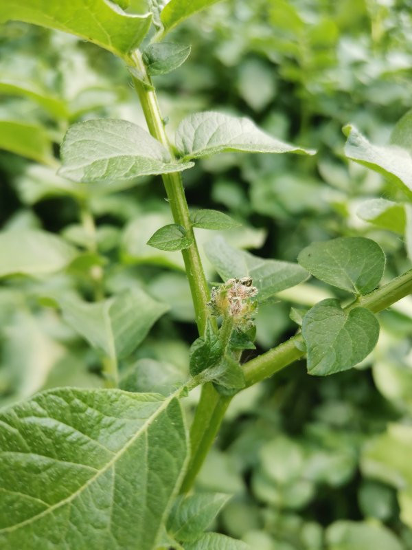
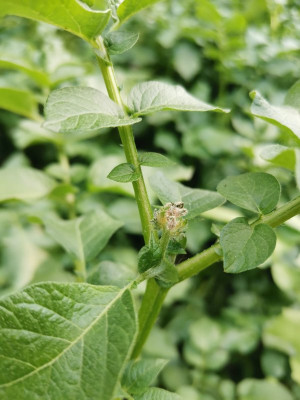
thuja thujon » Antwort #64 am:

Die Kartoffeln fangen demnächst an zu blühen. Also Annabelle nicht, die hat 2018 das einzige mal in über 10 Jahren geblüht. Sie wirft immer die Knospen ab, bevor sie überhaupt richtig entwickelt sind. Werden jetzt schon gelb und fallen dann runter.
Annabelle Knospe.jpeg

Simonetta scheint blühen zu wollen.
Simonetta Knospe.jpeg
gesundes und krankes Gemüse in Amish-Qualität
Benutzeravatar
Gänselieschen
Beiträge: 21708
Registriert: 9. Jun 2005, 12:18
Region: Ost - Brandenburg
Höhe über NHN: ca. 40 m ü. NHN
Bodenart: Sand Sand Sand Sand
Winterhärtezone: 7a: -17,7 °C bis -15,0 °C

Es gibt nichts Gutes, außer, man tut es.

Re: Kartoffeln 2025

Gänselieschen » Antwort #65 am:

.
Schachtelhalmi
Beiträge: 19
Registriert: 21. Nov 2021, 11:17
Region: Norddeutschland
Höhe über NHN: 56 Meter
Bodenart: lehmig
Winterhärtezone: 7b: -14,9 °C bis -12,3 °C

Re: Kartoffeln 2025

Schachtelhalmi » Antwort #66 am:

Stand heute alles nach Plan.
Einige Kartoffeln in den Kübeln hatten allerdings noch mal starke Frostschäden mitte Mai und sind zurück gefroren. Der Mai war bei uns wirklich ungewöhnlich kalt.
Merkwürdigerweise sind von der gleichen Sorte in gleichen Kübel einige Pflanzen zurück gefroren und andere unbeschadet geblieben. Größe ca. 15 cm. Hatte ich sonst auch noch nie. Einige Pflanzkartoffeln scheinen wohl resistenter zu sein als andere.

Ziel für die 6 Türme (40x40cm Grundfläche) im Schnitt 4 KG pro Turm = Gesamt 24 KG -> hochgerechnet 25KG auf den m².
Ziel für die 24 Kübel (45x45cm Grundfläche) im Schnitt 4 KG pro Kübel = Gesamt 96 KG -> hochgerechnet 20Kg auf den m².

Da das Blattgrün der Pflanzen in den Kübeln später aber eine wesentlich größere Fläche bedeckt wäre die Grundfläche der Plane (12m²) auf der sie stehen realistisch. Also auf den Quadratmeter ca. 8KG.
WhatsApp Image 2025-05-31 at 10.52.59.jpeg
WhatsApp Image 2025-05-31 at 10.52.59 (1).jpeg
WhatsApp Image 2025-05-31 at 10.52.59 (2).jpeg
Benutzeravatar
Gersemi
Beiträge: 3414
Registriert: 26. Okt 2020, 14:37
Wohnort: Krs. Düren/NRW
Region: Flachland
Bodenart: Schwerer Lehm
Winterhärtezone: 8a: -12,2 °C bis -9,5 °C

Re: Kartoffeln 2025

Gersemi » Antwort #67 am:

Meine im Hochbeet fangen an zu blühen :
Bild
LG
Gersemi
Benutzeravatar
Gänselieschen
Beiträge: 21708
Registriert: 9. Jun 2005, 12:18
Region: Ost - Brandenburg
Höhe über NHN: ca. 40 m ü. NHN
Bodenart: Sand Sand Sand Sand
Winterhärtezone: 7a: -17,7 °C bis -15,0 °C

Es gibt nichts Gutes, außer, man tut es.

Re: Kartoffeln 2025

Gänselieschen » Antwort #68 am:

Ich hake dieses Kartoffeljahr ab. Die auf dem Markt gekauften gucken kaum raus, oder garnicht, es war zu kalt nach dem Legen, ich habe bewässert, weil es staubtrocken war, da ist einiges verfault.
Das Beet ist vom Vorjahr mit Vergesslingen übersät. Die lasse ich jetztwachsen. Mal sehen....und Unkraut......
Benutzeravatar
thuja thujon
Beiträge: 22546
Registriert: 28. Apr 2016, 21:50
Region: Gemüsegarten Vorderpfalz
Höhe über NHN: 90
Winterhärtezone: 8b: -9,4 °C bis -6,7 °C

Re: Kartoffeln 2025

thuja thujon » Antwort #69 am:

Wirklich verfault ist mir selten was. Eher grabe ich beim ernten noch die Pflanzkartoffel wieder aus.

Hattest du nicht auch Knollen aus dem Supermarkt? Die können deutlich fauler sein beim keimen. Importware wird ja immer noch mit Keimstop behandelt. Manchmal kommen die auch erst ein Jahr später raus. Ich würde es mal noch nicht komplett abhaken.

Hier ist das Wetter im April und Mai eigentlich so schön kalt und Kartoffelfreundlich gewesen, dass ich auf die Ernte dieses Jahr gespannt bin. Vielleicht grabe ich doch mal ein, zwei Pflanzen aus am Wochenende. Dann lässt sich auch die Haupternte besser abschätzen.
gesundes und krankes Gemüse in Amish-Qualität
Heidelbär
Beiträge: 94
Registriert: 16. Dez 2020, 13:18
Kontaktdaten:

Mainzer Becken, Klimazone 8a

Re: Kartoffeln 2025

Heidelbär » Antwort #70 am:

Guten Morgen,

was könnten denn die schwachwüchsigen, gelben Kartoffeln für ein Problem haben?
IMG_20250609_092101_597.jpg
Viele Grüße
Benutzeravatar
thuja thujon
Beiträge: 22546
Registriert: 28. Apr 2016, 21:50
Region: Gemüsegarten Vorderpfalz
Höhe über NHN: 90
Winterhärtezone: 8b: -9,4 °C bis -6,7 °C

Re: Kartoffeln 2025

thuja thujon » Antwort #71 am:

Unabhängig von der Düngung kann das schon an den Pflanzkartoffeln gelegen haben.
Lagerschaden, Triebkraft, Viruslast, Keimstoppbehandlung usw.

Waren es zertifizierte Pflanzkartoffeln oder irgendwas übrig gebliebenes?
gesundes und krankes Gemüse in Amish-Qualität
Heidelbär
Beiträge: 94
Registriert: 16. Dez 2020, 13:18
Kontaktdaten:

Mainzer Becken, Klimazone 8a

Re: Kartoffeln 2025

Heidelbär » Antwort #72 am:

Was übrig Gebliebenes... Die gesunden Pflanzen wachsen aus blauen Kartoffeln, die ich mal als Saatkartoffeln erstanden habe. Die anderen hatte ich beim Bauern gekauft und gesetzt, weil sie so heißen wie meine Tochter :) .

Sollte ich sie ausmachen oder noch zwei Wochen zuwarten?
Benutzeravatar
thuja thujon
Beiträge: 22546
Registriert: 28. Apr 2016, 21:50
Region: Gemüsegarten Vorderpfalz
Höhe über NHN: 90
Winterhärtezone: 8b: -9,4 °C bis -6,7 °C

Re: Kartoffeln 2025

thuja thujon » Antwort #73 am:

Wenn du den Platz für was anderes brauchst kannst du roden, ansonsten ruhig noch die 2 Wochen warten. Ich habe auch noch nicht geerntet. Die nächste Woche wird warm, da könnte noch was gehen beim Knollenwachstum unten.

Und ja, Pflanzkartoffeln haben schon Vorteile. Vergiss auch nicht das Schilf-Glasflügelzikadenproblem.

https://www.praxis-agrar.de/pflanze/ack ... eutschland
gesundes und krankes Gemüse in Amish-Qualität
Pewe
Beiträge: 109
Registriert: 16. Jan 2022, 11:28

Re: Kartoffeln 2025

Pewe » Antwort #74 am:

Der Regen der letzten Tage hat den Kartoffeln sichtbar gut getan.
Mitte April gelegt.
20250609_134559.jpg
Antworten