News: Problem bei der Anmeldung? Bitte Mail über das Kontaktformular ganz unten! | garten-pur unterstützen mit einer Spende oder über das Partnerprogramm!
Weidenkaetzchen Schimmelbefall? (Gelesen 2658 mal)
Weidenkaetzchen Schimmelbefall?
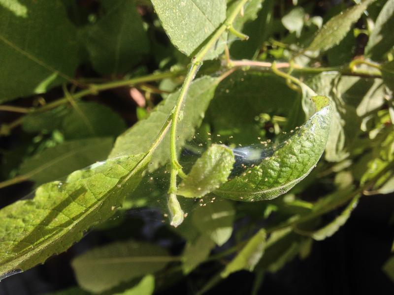
Hallo,ich hoffe ich bin im richtigen Forum mit meiner Frage und falls nicht, kann ein Admin mein Anliegen bitte verschieben? Danke!Ich habe ein Weidenkaetzchenbaeumchen und heute habe ich gesehen, dass sich viele kleine "Spinnenweben", oder was auch immer das sein mag, um die Blaetter und Aeste sich umhuellen.In den letzten Tagen hatte ich mich schon gewundert warum die Blaetter nicht mehr so satt gruen ausschauen sondern eher eine leicht gelbliche Oberflaeche bekommt und heute durch den Sonnenscheint konnte ich sehen weshalb und bin ratlos.Was kann ich machen und bitte wenn es geht ohne chemische Zusaetze?
Bin gespannt und vielen Dank vorab!1min. Beitragsanzahl noch nicht erreicht1min. Beitragsanzahl noch nicht erreicht1min. Beitragsanzahl noch nicht erreicht1min. Beitragsanzahl noch nicht erreicht
- Staudo
- Beiträge: 36017
- Registriert: 7. Jul 2007, 08:39
- Wohnort: Südbrandenburg
- Höhe über NHN: 84
- Winterhärtezone: 7a: -17,7 °C bis -15,0 °C
Re: Weidenkaetzchen Schimmelbefall?
Herzlich willkommen! ;)Das könnten Spinnmilben sein. Das sicherste Gegenmittel ist, sie zu ignorieren. Die Weide wird den Befall überleben und vielleicht ein paar verkrüppelte Triebspitzen zurückbehalten.
„Am Ende entscheidet die Wirklichkeit.“ Robert Habeck
Re: Weidenkaetzchen Schimmelbefall?
Hallo,danke fürs schnelle Feedback!Einfach ignorieren? Schaut doch nicht schön aus und der Pflanze gehts auch nicht so gut ???Wenn es da nichts gibt... dann hoffe ich mal das sie das überlebt... gibt es einen Zeitraum wo die Milben sich "auflösen"?
- Staudo
- Beiträge: 36017
- Registriert: 7. Jul 2007, 08:39
- Wohnort: Südbrandenburg
- Höhe über NHN: 84
- Winterhärtezone: 7a: -17,7 °C bis -15,0 °C
Re: Weidenkaetzchen Schimmelbefall?
Meistens reicht ein kräftiges Gewitter. Spinnmilben brauchen trockene Luft.
„Am Ende entscheidet die Wirklichkeit.“ Robert Habeck
Re: Weidenkaetzchen Schimmelbefall?
Gewitter hatten wir hier in Berlin der letzten Zeit ja mehr als genug :)Könnte ich mit einer Brause von oben das etwas abspülen?Nachtrag:wie auch immer, danke und dann ist es jedenfals kein Notfall wo ich unbedingt eingreifen muss, das beruhigt mich.
Re: Weidenkaetzchen Schimmelbefall?
Bei mir sind auch gerade überall Spinnmilben. Ich kann sie nicht ignorieren, einige Polygonatum sind schon oberirdisch abgestorben, was bei dem momentanen Wetter in kurzer Zeit passiert. Ich würde sie mit Neudosan spritzen, das ist ein physikalisch wirkendes Mittel (ähnlich wie Spüli). Und die Weide immer mal wieder abbrausen, das mögen sie auch nicht. Es wird echt höchste Zeit dass es wieder regelmäßigen Regen gibt, damit diese Dinger in ihre Schranken verwiesen werden!
Viele Grüße aus dem Ermstal !
Re: Weidenkaetzchen Schimmelbefall?
Hallo,ich habe gestern und heute von oben die Pflanze mit reichlich Wasser bespritzt und finde das es sich gebessert hat und diese feinen Spinnenweben auch nicht mehr da sind und die Blätter wirken auch nicht mehr so gelb befleckt.
- Zwiebeltom
- Beiträge: 6822
- Registriert: 12. Feb 2009, 08:55
Re: Weidenkaetzchen Schimmelbefall? Thread bitte verschieben
Müssten die Weidenkätzchen mitsamt Spinnmilben nicht mal in den Bereich Pflanzengesundheit umziehen? 
Das Leben ist kein Ponyschlecken.
Re: Weidenkaetzchen Schimmelbefall?
Kurze Info zum Zustand meines Weidenkätzchen:nichts neues, die Blätter sind doch nicht besser geworden aber das feine Spinnengewebe ist jedenfalls weg, aber einige Blätter sind etwas vertrocknet oder es kommt von den Spinnenmilben.
- Staudo
- Beiträge: 36017
- Registriert: 7. Jul 2007, 08:39
- Wohnort: Südbrandenburg
- Höhe über NHN: 84
- Winterhärtezone: 7a: -17,7 °C bis -15,0 °C
Re: Weidenkaetzchen Schimmelbefall?
Dass die Blätter nicht heilen, war zu erwarten. 
„Am Ende entscheidet die Wirklichkeit.“ Robert Habeck
Re: Weidenkaetzchen Schimmelbefall?
Aber der Baum hält es aus, oder? 