News: Problem bei der Anmeldung? Bitte Mail über das Kontaktformular ganz unten! | garten-pur unterstützen mit einer Spende oder über das Partnerprogramm!

Schwarze Flecken auf Birne (Gelesen 1387 mal)

Pflanzenstärkung, Krankheiten und physiologische Störungen

Moderator: Nina

Antworten
Benutzeravatar
lucullus_52
Beiträge: 739
Registriert: 7. Mär 2015, 18:58
Kontaktdaten:

Mittelfranken, Winterhärtezone 6b

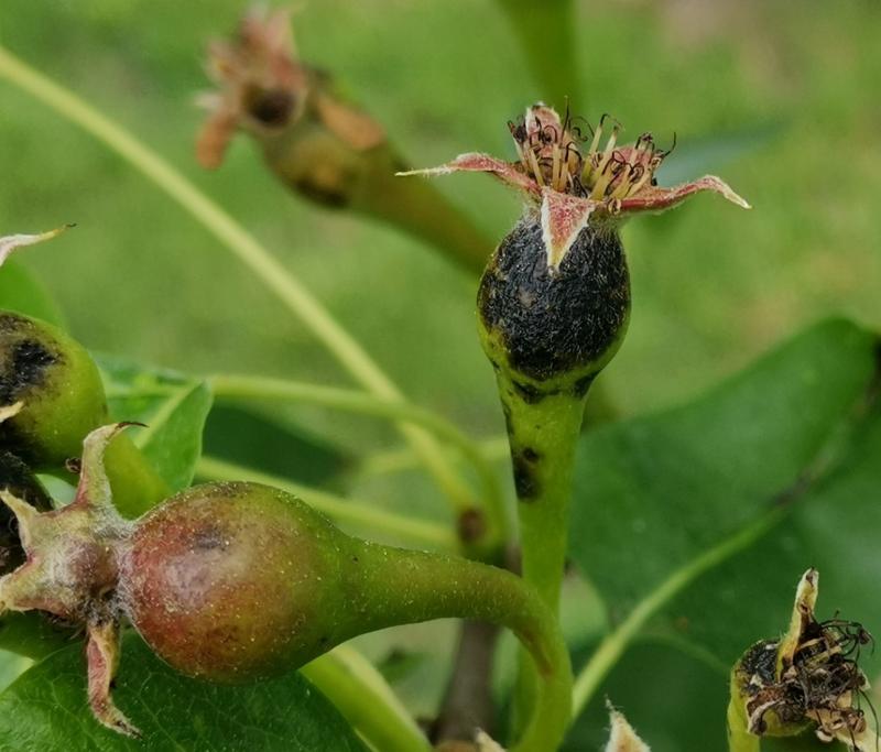
Schwarze Flecken auf Birne

lucullus_52 »

Hallo Forum,

im vergangenen Jahr hatte ich bereits nach Rat bezüglich der Schäden an den "reifen" Früchten gefragt (https://forum.garten-pur.de/index.php/topic,55237.msg2362807.html#msg2362807), anhängen wollte ich die aktuelle Frage an den Thread nach der angezeigten Warnung (>120 Tage) aber nicht...
Nachdem der Baum erstmal prächtig voller Blüten war, hat er auch reichlich Fruchtansätze. Leider weisen diese auch schon reichlich schwarze Flecken auf, die von den Blüten auszugehen scheinen.
Kann mir hier jemand einen Hinweis geben, was die Birne haben könnte und was ich dagegen machen könnte? Im vergangenen Jahr hatte ich bereits alles gründlich abgesammelt, den Baum zurückgeschnitten, aber nicht blind Insektizide oder Fungizide gespritzt.
Dateianhänge
Birne_2020.jpg
Hauptsache, es blüht
Benutzeravatar
555Nase
Beiträge: 2734
Registriert: 6. Jun 2012, 01:24

Re: Schwarze Flecken auf Birne

555Nase » Antwort #1 am:

Welche Tiefsttemperaturen hattest du nachts dieser Tage ?
Gruß aus Karl-Chemnitz-Murx
Benutzeravatar
thuja thujon
Beiträge: 22083
Registriert: 28. Apr 2016, 21:50
Region: Gemüsegarten Vorderpfalz
Höhe über NHN: 90
Winterhärtezone: 8b: -9,4 °C bis -6,7 °C

Re: Schwarze Flecken auf Birne

thuja thujon » Antwort #2 am:

Wenns Kälte wäre, wäre die Frucht nebenan auch betroffen.

Hier dürfte es sich um die Birnengallmücke handeln.
gesundes und krankes Gemüse in Amish-Qualität
Benutzeravatar
555Nase
Beiträge: 2734
Registriert: 6. Jun 2012, 01:24

Re: Schwarze Flecken auf Birne

555Nase » Antwort #3 am:

Da ist der Wurm drin ! ;D
Gruß aus Karl-Chemnitz-Murx
Benutzeravatar
lucullus_52
Beiträge: 739
Registriert: 7. Mär 2015, 18:58
Kontaktdaten:

Mittelfranken, Winterhärtezone 6b

Re: Schwarze Flecken auf Birne

lucullus_52 » Antwort #4 am:

Danke für die Hinweise.
Würmer konnte ich in mehreren aufgeschnittenen (befallenen) Früchtchen nicht entdecken, werde aber sicherheitshalber mal alle befallenen Früchte entfernen und entsorgen. Vielleicht gibt's dann im nächsten Jahr genießbare Birnen ... oder der Baum kommt weg :(
Hauptsache, es blüht
Antworten