News: Problem bei der Anmeldung? Bitte Mail über das Kontaktformular ganz unten! | garten-pur unterstützen mit einer Spende oder über das Partnerprogramm!
Kaki, Diospyros kaki, Anbau und Winterhärte (Gelesen 448621 mal)
Moderator: cydorian
- usirius
- Beiträge: 20
- Registriert: 14. Mai 2014, 12:10
- Wohnort: Neuthard
- Region: Kraichgau
- Höhe über NHN: 109
- Bodenart: Sandig
- Winterhärtezone: 7b: -14,9 °C bis -12,3 °C
Re: Kaki, Diospyros kaki, Anbau und Winterhärte
Meine Kakis werden von Bienen bestäubt. Ameisen konnte ich noch keine entdecken.
Wuchern eure Kais auch so wie meine? Meine muss ich mehrmals im Jahr zurück schneiden, sonst hätte ich sicher schon über 10 m hohe Bäume.
Wuchern eure Kais auch so wie meine? Meine muss ich mehrmals im Jahr zurück schneiden, sonst hätte ich sicher schon über 10 m hohe Bäume.
-
- Beiträge: 3062
- Registriert: 25. Aug 2014, 19:35
- Region: Heckengäu am Schwarzwaldrand
- Höhe über NHN: rund 570m
- Bodenart: (toniger) Schluff, Pararendzina? Muschelkalk
- Winterhärtezone: 7a: -17,7 °C bis -15,0 °C
- Kontaktdaten:
Re: Kaki, Diospyros kaki, Anbau und Winterhärte
Meine Kakis und Hybriden sind noch recht jung, deswegen sind sie erst bei ca. 3-4m angekommen. Und jetzt mit dem Fruchten hat das Triebwachstum nachgelassen (2024 etwa 25 cm).
Extrem stark kommt mir deren Wuchs (auf D. lotus als Unterlage) bisher nicht vor. Ich glaube nicht, dass die so schnell >5m werden, wenn überhaupt.
Etwas jüngere Bäume, D. virginiana Sorten auf D.virginiana als Unterlage, scheinen bei mir nach 2-3 Jahren Einwachsen eher stärker zu wachsen. Die beiden haben letztes Jahr (2024) über 1m Neutriebe gemacht. Da kann ich mir größere Endhöhen vorstellen, aber da müsste ich erst einmal sehen, wie die unter Ertrag die Triebstärke verringern werden, und wann es überhaupt dazu kommt, dass sie das erste mal fruchten. Aber ich könnte mir vorstellen, dass die eher so in die Größenordnung von 6-8m oder auch mehr wachsen können. Die Frage ist, wie groß lasse ich sie wachsen und wie viel kann man da mit Schnitt überhaupt machen.
Extrem stark kommt mir deren Wuchs (auf D. lotus als Unterlage) bisher nicht vor. Ich glaube nicht, dass die so schnell >5m werden, wenn überhaupt.
Etwas jüngere Bäume, D. virginiana Sorten auf D.virginiana als Unterlage, scheinen bei mir nach 2-3 Jahren Einwachsen eher stärker zu wachsen. Die beiden haben letztes Jahr (2024) über 1m Neutriebe gemacht. Da kann ich mir größere Endhöhen vorstellen, aber da müsste ich erst einmal sehen, wie die unter Ertrag die Triebstärke verringern werden, und wann es überhaupt dazu kommt, dass sie das erste mal fruchten. Aber ich könnte mir vorstellen, dass die eher so in die Größenordnung von 6-8m oder auch mehr wachsen können. Die Frage ist, wie groß lasse ich sie wachsen und wie viel kann man da mit Schnitt überhaupt machen.
-
- Beiträge: 3062
- Registriert: 25. Aug 2014, 19:35
- Region: Heckengäu am Schwarzwaldrand
- Höhe über NHN: rund 570m
- Bodenart: (toniger) Schluff, Pararendzina? Muschelkalk
- Winterhärtezone: 7a: -17,7 °C bis -15,0 °C
- Kontaktdaten:
Re: Kaki, Diospyros kaki, Anbau und Winterhärte
Bienen sind blütenstet. Wenn sie sich mal auf Brombeere oder Kaki "eingeflogen" haben, gehen sie erst einmal nicht an anderes. Es kommt eben darauf an, was zuerst anfängt zu blühen oder zuerst für die Bienen (zumindets von einem Bienenvolk) relevant wird.
- Alva
- Beiträge: 6272
- Registriert: 9. Okt 2014, 14:26
- Wohnort: Wien
- Winterhärtezone: 8a: -12,2 °C bis -9,5 °C
Re: Kaki, Diospyros kaki, Anbau und Winterhärte
Hier befruchten Bienen und noch mehr Hummeln. Die Blüte ist aber schon durch, es gibt schon kleine Kakis. 

My favorite season is the fall of the patriarchy
-
- Beiträge: 3062
- Registriert: 25. Aug 2014, 19:35
- Region: Heckengäu am Schwarzwaldrand
- Höhe über NHN: rund 570m
- Bodenart: (toniger) Schluff, Pararendzina? Muschelkalk
- Winterhärtezone: 7a: -17,7 °C bis -15,0 °C
- Kontaktdaten:
Re: Kaki, Diospyros kaki, Anbau und Winterhärte
Meine blühen noch nicht, im Stuttgarter Stadtkessel habe ich aber auch schon eine Kaki mit kleinen Früchten gesehen.
- Gartenplaner
- Beiträge: 21242
- Registriert: 26. Nov 2010, 22:07
- Wohnort: Süden Luxemburgs, ein paar Kilometer von der französischen Grenze
- Region: „Gutland“, Süden Luxemburgs
- Höhe über NHN: 274-281
- Bodenart: „Töpfer“lehm
- Winterhärtezone: 8a: -12,2 °C bis -9,5 °C
- Kontaktdaten:
-
Nitwit! Blubber! Oddment! Tweak!
Re: Kaki, Diospyros kaki, Anbau und Winterhärte
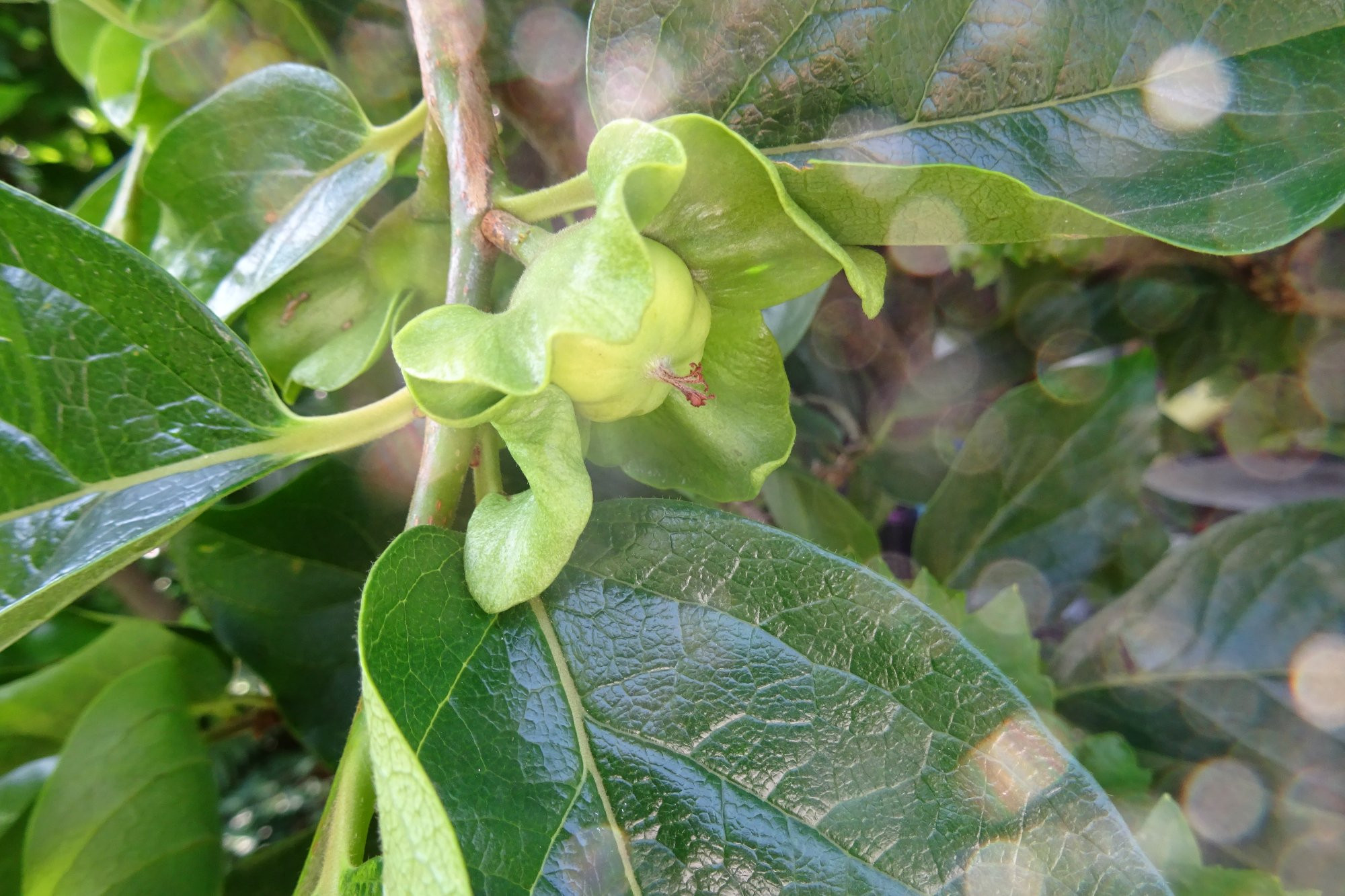
Gehe ich richtig in der Annahme, dass das D. virginiana ist?
Ist so lange her, dass ich sie bekommen habe, scheint zum ersten Mal zu blühen:

Ist so lange her, dass ich sie bekommen habe, scheint zum ersten Mal zu blühen:

Wer meinen Lern-Garten sehen will - unterm Goldfrosch-Bild den Globus klicken!
Erich Kästner, (1933/46), Ein alter Mann geht vorüber
“Frei zu sein bedeutet nicht nur seine eigenen Ketten abzulegen, sondern sein Leben so respektvoll zu leben, dass es die Freiheit anderer steigert.“ Nelson Mandela
Erich Kästner, (1933/46), Ein alter Mann geht vorüber
“Frei zu sein bedeutet nicht nur seine eigenen Ketten abzulegen, sondern sein Leben so respektvoll zu leben, dass es die Freiheit anderer steigert.“ Nelson Mandela
- cydorian
- Garten-pur Team
- Beiträge: 12349
- Registriert: 19. Nov 2005, 14:29
- Höhe über NHN: 190
- Bodenart: 30cm toniger Lehm auf Muschelkalk
- Kontaktdaten:
Re: Kaki, Diospyros kaki, Anbau und Winterhärte
Nein. Das ist Diospyros lotus, die Lotuspflaume.
- usirius
- Beiträge: 20
- Registriert: 14. Mai 2014, 12:10
- Wohnort: Neuthard
- Region: Kraichgau
- Höhe über NHN: 109
- Bodenart: Sandig
- Winterhärtezone: 7b: -14,9 °C bis -12,3 °C
Re: Kaki, Diospyros kaki, Anbau und Winterhärte
Meine im Großraum Karlsruhe sind schon verblüht und tragen haufenweise schöne Fruchtansätze, siehe Fotos. Da die Fotos hier anzahlmäßig limitiert sind, habe ich Bilder nur von den Sorten Gwang Yang und Jiro C 24276 beigefügt (des weiteren habe ich auch die Sorten Vaniglia, Korea Kaki, Hana Fuyo und Ichi Ki Kei Jiro )
- Gartenplaner
- Beiträge: 21242
- Registriert: 26. Nov 2010, 22:07
- Wohnort: Süden Luxemburgs, ein paar Kilometer von der französischen Grenze
- Region: „Gutland“, Süden Luxemburgs
- Höhe über NHN: 274-281
- Bodenart: „Töpfer“lehm
- Winterhärtezone: 8a: -12,2 °C bis -9,5 °C
- Kontaktdaten:
-
Nitwit! Blubber! Oddment! Tweak!
Re: Kaki, Diospyros kaki, Anbau und Winterhärte
Ah! Vielen Dank!
Wer meinen Lern-Garten sehen will - unterm Goldfrosch-Bild den Globus klicken!
Erich Kästner, (1933/46), Ein alter Mann geht vorüber
“Frei zu sein bedeutet nicht nur seine eigenen Ketten abzulegen, sondern sein Leben so respektvoll zu leben, dass es die Freiheit anderer steigert.“ Nelson Mandela
Erich Kästner, (1933/46), Ein alter Mann geht vorüber
“Frei zu sein bedeutet nicht nur seine eigenen Ketten abzulegen, sondern sein Leben so respektvoll zu leben, dass es die Freiheit anderer steigert.“ Nelson Mandela
Re: Kaki, Diospyros kaki, Anbau und Winterhärte
Habe heute nochmal nachgeschaut und sehe hinter der Blüte kleine schwarze Punkte. Und ganz viele Ameisen drumherum. Sind das Läuse oder Babyameisen?
- usirius
- Beiträge: 20
- Registriert: 14. Mai 2014, 12:10
- Wohnort: Neuthard
- Region: Kraichgau
- Höhe über NHN: 109
- Bodenart: Sandig
- Winterhärtezone: 7b: -14,9 °C bis -12,3 °C
Re: Kaki, Diospyros kaki, Anbau und Winterhärte
Hallo rohir, en Foto wäre hilfreich zur Beurteilung. Aber ich tippe mal auf Läuse
- usirius
- Beiträge: 20
- Registriert: 14. Mai 2014, 12:10
- Wohnort: Neuthard
- Region: Kraichgau
- Höhe über NHN: 109
- Bodenart: Sandig
- Winterhärtezone: 7b: -14,9 °C bis -12,3 °C
Re: Kaki, Diospyros kaki, Anbau und Winterhärte
Hallo rohir, sind Läuse, die von Ameisen "gemolken" und auch umsorgt werden, wenn sich der Befall so wie auf dem Bild och in Grenzen hält, musst du nicht unbedingt was unternehmen, Wenn der Befall aber stärker wird und auch an mehreren Bereichen des Baumes auftritt,würde ich die Läuse umweltverträglich mit Seifenlauge oder dem biologischen Pflanzenschutz Neem (z.B. von Fa. Neudorff) bekämpfen, jedoch niemals mit chemischen Pflanzenschutzmitteln behandeln, unsereine(r) will doch in den Früchten kein Gift drin haben, und sowieso die Umwelt schonen.
Re: Kaki, Diospyros kaki, Anbau und Winterhärte
Hallo! Danke für die Tipps! Ja der Befall war nicht so tragisch - ich hab mich nur gewundert. Dieses Jahr sind die Läuse echt hartnäckig.
Im Falle des Kakis hab ich sie jetzt mal nur mit Wasser runtergespült. Hab den Eindruck dass sie eh nur an den Blüten interessiert waren und das ist jetzt schon so gut wie vorbei.
Im Falle des Kakis hab ich sie jetzt mal nur mit Wasser runtergespült. Hab den Eindruck dass sie eh nur an den Blüten interessiert waren und das ist jetzt schon so gut wie vorbei.