News: Problem bei der Anmeldung? Bitte Mail über das Kontaktformular ganz unten! | garten-pur unterstützen mit einer Spende oder über das Partnerprogramm!
Eßbare Früchte ? (Gelesen 2142 mal)
Moderator: cydorian
Re:Eßbare Früchte ?
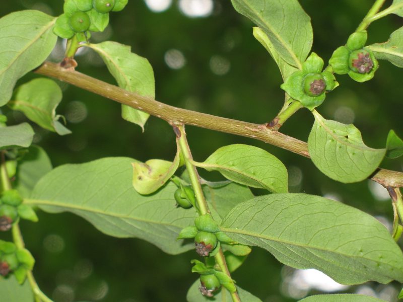
Es ist Diospyros lotus 
Re:Eßbare Früchte ?
Die Baumweisen sagen "fade schmeckend"... aber Kaki ist eßbar, und wenn du dir mit der Benennung sicher bist, würde ich mal abwarten, bis die Früchte erntereif sind. Für Chutney gehen sie meines Wissens immer, obwohl... diese Seite (die übrigens ausgezeichnet finde) verwendet Diospyros lotus nur als Unterlage.
Edel sei der Mensch, hilfreich und gut.
Re:Eßbare Früchte ?
Danke, Susanne, für deine Mühe mit den Links.Ich war so überrascht, in unserem Klima diesen riesigen Baum mit den kleinen Früchten zu sehen.Ob sie reif werden und genießbar sind, kann ich mir noch nicht vorstellen. Falls ich nochmals die Gelegenheit habe, werde ich nachsehen.LG, fips