
News: Problem bei der Anmeldung? Bitte Mail über das Kontaktformular ganz unten! | garten-pur unterstützen mit einer Spende oder über das Partnerprogramm!
Magnoliensamen ganz problemlos gekeimt (Gelesen 15257 mal)
Moderatoren: Nina, Phalaina, cydorian, partisanengärtner
-
- Master Member
- Beiträge: 17899
- Registriert: 2. Jun 2005, 07:24
- Kontaktdaten:
-
Hamburg-Altona, Whz 8a
Re:Magnoliensamen ganz problemlos gekeimt
Hausgeist, hast Du deinen Sämling von dieser wunderschönen Säulenmagnolie inzwischen ausgepflanzt?
Ich hoffe doch, im Topf ist es immer ein größeres Risiko, gerade im Winter und sie brauchen sehr lange, bis sie blühfähig sind.


Ein schattiger Garten ist mehr als ein Garten ohne Sonne.
Re:Magnoliensamen ganz problemlos gekeimt
Der ist über den Winter eingeschlagen. Die letzten zwei Winter hatte ich sie ja im Keramik-Topf eingelassen. Inzwischen war sie im Kunstoff-Container, das war mir wegen der Feuchtigkeit zu unsicher, also habe ich sie im Canna-Beet ohne Topf in der Erde versenkt. Über den Winter konnte ich genug planen, so dass sie nun in den nächsten Wochen ihren endgültigen Standort bekommt. Ja, bis zur Blüte wird sie uns alle noch auf die Folter spannen.
-
- Master Member
- Beiträge: 17899
- Registriert: 2. Jun 2005, 07:24
- Kontaktdaten:
-
Hamburg-Altona, Whz 8a
Re:Magnoliensamen ganz problemlos gekeimt
Bei der Mutterpflanze kann es nur interessant werden!

Ein schattiger Garten ist mehr als ein Garten ohne Sonne.
Re:Magnoliensamen ganz problemlos gekeimt
Und nächstes Jahr ist es schon soweit, wenn kein böser Frost dazwischen kommt. Ich habe heute ganze 10 Knospen an der Magnolie entdeckt!Ja, bis zur Blüte wird sie uns alle noch auf die Folter spannen.

Re: Magnoliensamen ganz problemlos gekeimt


- Treasure-Jo
- Beiträge: 9501
- Registriert: 19. Feb 2009, 22:46
- Kontaktdaten:
-
Klimazone 8a (100 m ü.NN)
Re: Magnoliensamen ganz problemlos gekeimt
Da bin ich wirklich sehr gespannt auf die erste Blüte. Kompliment und Glückwunsch!
Liebe Grüße
Jo
Jo
- Sarracenie
- Beiträge: 829
- Registriert: 30. Mai 2007, 20:53
- Wohnort: Marburg
- Region: Mittelgebirge
- Höhe über NHN: 280m
- Bodenart: teils lehmig teils humos
- Winterhärtezone: 7b: -14,9 °C bis -12,3 °C
Re: Magnoliensamen ganz problemlos gekeimt
bei meiner Magnolienaussaat von letzten Herbst wird es noch ein paar Jahre Dauern bis zur Blüte, auch wenn die im April aufgelaufenen Magnolia grandiflora schon 25cm hoch sind (jetzt muß ich die rund 30 Bäumchen erst mal in größere Töpfe "pikieren")wie es aussieht werden dieses Jahr sämtliche meine bühenden Magnoliensorten/-arten ein paar Samen tragen. Da "Merrill", x soulangiana "Alexandrina", stellata, kobus v. stellata, "Leonard Messel", "George Henry Kern" und "Gold Star" auch gleichzeitig Blüten offen hatten könnte da ne bunte Mischung rauskommen 

- botaniko †
- Beiträge: 849
- Registriert: 1. Aug 2016, 19:51
Re: Magnoliensamen ganz problemlos gekeimt
Hallo,toll, das das doch zu gehen scheint. Ich probier's immer mit Stecklingen, um sortenecht meine 'Edith Bogue' zu erhalten, aber bisher ohne Erfolg. Weiß gar nicht, wo da das Geheimnis liegt, ich hab' nämlich sonst 2 grüne Daumen ...Gruß
- Sarracenie
- Beiträge: 829
- Registriert: 30. Mai 2007, 20:53
- Wohnort: Marburg
- Region: Mittelgebirge
- Höhe über NHN: 280m
- Bodenart: teils lehmig teils humos
- Winterhärtezone: 7b: -14,9 °C bis -12,3 °C
Re: Magnoliensamen ganz problemlos gekeimt
Stecklinge bin ich auch gerade am Versuchen. Meine "Alexandrina" mußte seitlich mal wieder etwas eingekürtz werden. Bislang sind die am Samstag in feuchten Torf gesteckten 3 geraden 60cm Triebe noch saftig grün
- Cryptomeria
- Beiträge: 6763
- Registriert: 7. Mai 2007, 21:59
- Region: Küstennähe,südl.Flensburg
Re: Magnoliensamen ganz problemlos gekeimt
Abmoosen geht gut, in Bodennähe dann sicher auch Anhäufeln.VG Wolfgang
Re: Magnoliensamen ganz problemlos gekeimt
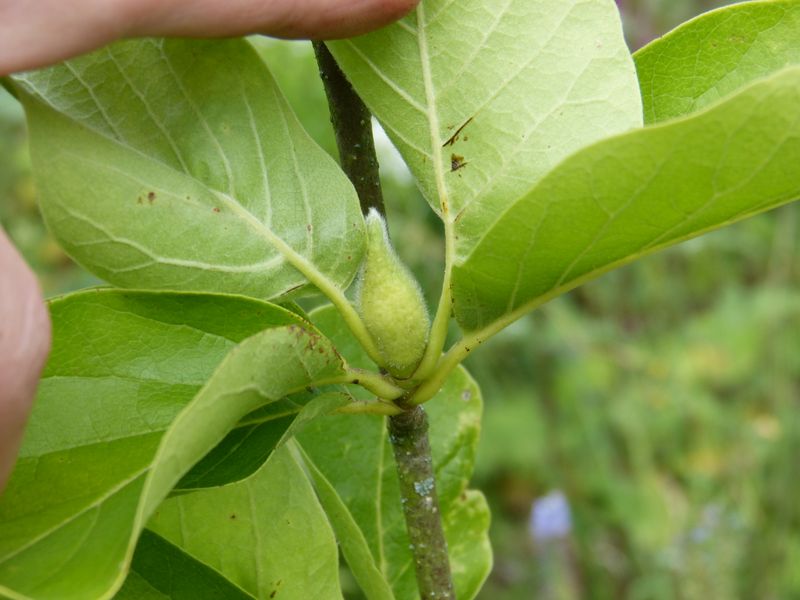
Staudo, was macht deine Hecke? Bei mir sind die Pflanzen dieses Jahr richtig durchgestartet, aktuell zwischen 80 und 130 cm hoch und siehe da... :D
Re: Magnoliensamen ganz problemlos gekeimt
Hiermit werde ich mich dann wohl auch mal an der Aussaat versuchen. :)
Re: Magnoliensamen ganz problemlos gekeimt
Die Pflanzen müssen sich gegen Wurzeldruck großer Eichen behaupten, weshalb die Hecke ein paar Meter kürzer geworden ist. Dort sind die Sträucher vertrocknet. Die anderen haben den Sommer überlebt und auch getrieben. Eine Knospe entdeckte ich noch nicht.
„Am Ende entscheidet die Wirklichkeit.“ Robert Habeck
Re: Magnoliensamen ganz problemlos gekeimt
Ups... :-\ Dann drücke ich der Resthecke die Daumen. Nach dem Laubabwurf werde ich mal genauer inspizieren, wieviele Knospen schon da sind. So früh hätte ich damit jedenfalls nicht gerechnet.