News: Problem bei der Anmeldung? Bitte Mail über das Kontaktformular ganz unten! | garten-pur unterstützen mit einer Spende oder über das Partnerprogramm!
Blattflecken an Bartiris (Gelesen 2359 mal)
Moderator: Nina
-
Conni
Blattflecken an Bartiris
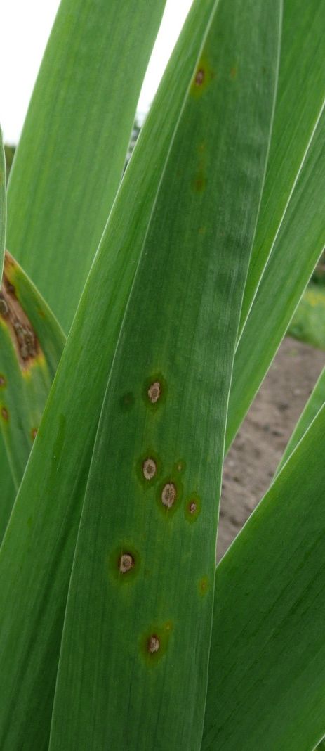
An einem Irishorst habe ich Blattflecken entdeckt, die mir nicht gefallen. Mit welcher Krankheit habe ich es zu tun und was kann ich unternehmen, wenn ich keine Chemie einsetzen möchte?Glücklicherweise steht der Horst weit entfernt von anderen Iris. Und die anderen Iris sehen alle völlig gesund aus.
- RosaRot
- Beiträge: 17898
- Registriert: 11. Mai 2007, 20:53
-
Regenschatten Schattenregen Nordöstliches Harzvorland, Podsol, Regosol 7b 123m
Re:Blattflecken an Bartiris
Pilzbefall, haben bei mir auch immer wieder welche. Ich ignoriere es einfach bzw. schneide stark befallene Blätter ab. Den Iris scheint es nichts auszumachen.
Viele Grüße von
RosaRot
RosaRot
-
Conni
Re:Blattflecken an Bartiris
Danke, RosaRot, das klingt gut. Vielleicht sollte ich sie im Spätsommer an eine Stelle umpflanzen, die noch trockener und noch karger ist?
- RosaRot
- Beiträge: 17898
- Registriert: 11. Mai 2007, 20:53
-
Regenschatten Schattenregen Nordöstliches Harzvorland, Podsol, Regosol 7b 123m
Re:Blattflecken an Bartiris
Conni, ich habe auch schon vermutet, dass die Blattflecken mit dem Nährstoffangebot zusammenhängen könnten. Karg ist auf jeden Fall nicht falsch. Meine stehen sehr karg(Sandboden), das hat den Nachteil, dass sie dieses Jahr wenig blühen (die modernen Sorten). Gestern habe ich in einer Gartenanlage Irishorste gesehen (auch eher ältere Sorten) auf gutem Flussschwemmland, immer als Gärten oder Spargelacker genutzt- die sahen so was von üppig aus- kann ich nur davon träumen. So ein Blütenmeer. (So regenreich wie jetzt ist bei uns ja nicht die Regel, im Sommer ist es da auch trocken).Die Kalkversorgung ist auch wichtig und ein stickstoffarmer Dünger ist gut, wenn gedüngt werden soll. Irisfool und Pearl wissen bestimmt noch mehr.
Viele Grüße von
RosaRot
RosaRot
-
Conni
Re:Blattflecken an Bartiris
Düngen wollte ich sie eigentlich erstmal nicht, aber eine Handvoll Holzasche und zerstossene Eierschalen könnte ich ihnen schon spendieren. Und später im Jahr werden sie umziehen. Über weitere Hinweise (auch von pearl und Irisfool
) würde ich mich sehr freuen. (Schwemmsand und Spargel? Die kranken Iris stehen genau in so einem Beet, das jahrelang als Spargelbeet genutzt wurde und das ich, weil die alten Spargelpflanzen allmählich müde werden, in den letzten zwei Jahren kräftig mit Mist gedüngt habe.)
- oile
- Beiträge: 32570
- Registriert: 9. Jan 2004, 20:13
- Höhe über NHN: 35 m
- Bodenart: sandig
- Winterhärtezone: 7b: -14,9 °C bis -12,3 °C
-
Markgräfin von Pieske, Gierschkultivatorin Brandenburg, zwei Gärten: Nähe Schönefeld und Nähe Fürstenwalde.
Re:Blattflecken an Bartiris
Conni, bei meinen Iris geht es dieses Jahr auch sehr früh los mit den Blattflecken. Ich denke es liegt am Wetter.
Bis jetzt ist es gut gegangen, sagte der Mann, als er am 13. Stockwerk vorbei fiel.
Don't feed the troll!
Don't feed the troll!
- partisanengärtner
- Garten-pur Team
- Beiträge: 19118
- Registriert: 27. Jan 2009, 08:22
- Kontaktdaten:
-
Qualitatives Wachstum hat keine Grenzen. 6b
Re:Blattflecken an Bartiris
Im Zweifel Botrytis. Ich hab meine anfälligen Lilium (Iris haben das bei mir noch nicht) Erdbeeren getauft und ein für Erdbeeren zugelassenes Mittel eingesetzt . Manchmal muß das sein
;DBei Iris wär ich nicht so skrupellos. 
Wer zuviel jätet raubt sich manche Überraschung.
Axel
Axel