News: Problem bei der Anmeldung? Bitte Mail über das Kontaktformular ganz unten! | garten-pur unterstützen mit einer Spende oder über das Partnerprogramm!
Kamelien: Wie vermehre ich sie? (Gelesen 106568 mal)
Moderator: AndreasR
- Violatricolor
- Beiträge: 3674
- Registriert: 18. Dez 2006, 10:04
Re:Kamelien: Wie vermehre ich sie?
Die sehen aber schön aus!!LGViolatricolor
Re:Kamelien: Wie vermehre ich sie?
Bei mir fangen die Sämlinge an zu keimen. Bokuhan, Yuhienensis, C. sinensis rot, Transkoinensis und Rosaeflora haben schon die Hülle gesprengt und treiben Würzelchen. ;DDie Veredelungen vom Oktober verlieren leider die Blätter, war wohl nichts.
Es stehen nur noch wenige gut da). Bei den Steckis habe ich noch nichts neues zu berichten. Sind einfach immer noch grün. 


- tarokaja
- Beiträge: 12595
- Registriert: 26. Jan 2008, 13:07
- Kontaktdaten:
-
Onsernonetal/Tessin (CH) 8b 678m
Re:Kamelien: Wie vermehre ich sie?
Hallo jensKeine Ahnung, warum das bei deinen Retic-Bestäubungsversuchen nicht hingehauen hat
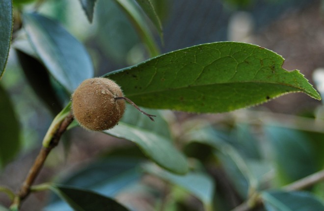
Meine 'C.reticulata Wild' hat dieses Jahr eine Frucht angesetzt mit 2 Samen drin. Hab sie im am 6. Nov gesetzt und bin nun natürlich furchtbar gespannt, was draus wird
Ich kann mir nicht vorstellen, dass es bei mir wärmer war als an deinem alten Wohnort.Sie stand bis April im GH, das ich allerdings nicht über 5°C heize. Aber vielleicht war's zur Zeit der Samenbildung dort wärmer? Und den Sommer über stand sie sehr sonnig draussen.Wo hattest du denn dein Retic-Versuchskaninchen stehen?Ich würde das einfach nochmals probieren und bewusst auf mehr Wärme achten (wenn das möglich ist).LG, Barbara


gehölzverliebt bis baumverrückt
Re:Kamelien: Wie vermehre ich sie?
Hi Barbara!Das ist schon was länger her, ich meine ich hab da Lasca Beauty bestäubt. Die hatte auch ein Äpfelchen angesetzt, aber das war halt leer.Ich meine auch das sie auf dem Balkon stand und dort gab es nur 2 bis 3 Stunden Sonne.Ich werde es aber dieses Jahr einfach mal wieder versuchen, jetzt sind die Bedingungen ja viel besser. :DBesonders gern möchte ich Mouchang mit einer Sasanqua kreuzen. Weißt du vielleicht wie ich den Pollen am besten aufbewahre?LgJens
-
- Beiträge: 801
- Registriert: 9. Okt 2007, 21:12
- Kontaktdaten:
Re:Kamelien: Wie vermehre ich sie?
Ich bewahre Pollen immer im Kuehlschrank in Plastic abgeschlossen. Selbst nach 6 Monate noch gut. Habe ich mit Clematis und Camellia getan.
Machen von neue Clematis Kreuzungen ist fuer mich wichtig.
- Violatricolor
- Beiträge: 3674
- Registriert: 18. Dez 2006, 10:04
Re:Kamelien: Wie vermehre ich sie?
Darin ist BlackRose Expertin!! ;)LGViolatricolorWeißt du vielleicht wie ich den Pollen am besten aufbewahre?
-
- Master Member
- Beiträge: 17899
- Registriert: 2. Jun 2005, 07:24
- Kontaktdaten:
-
Hamburg-Altona, Whz 8a
Re:Kamelien: Wie vermehre ich sie?
Zur Lagerung eigen sich alte Filmdosen, in unseren digitalen Zeitalter inzwischen allerdings eine Seltenheit. Ich hab mir zum Glück einen kleinen Vorrat beiseite gelegt. ;)Den Pollen lasse ich vorher trockenen und stecke ihn in einen selbst gefaltenten kleinen Papierumschlag, in ca. Briefmarkengröße. Beschriften nicht vergessen.
Von diesen Umschlägen passen mehrere in eine Filmdose, dazu kommt ein Päckchen Silikagel (gibt es im Fotobedarf oder in einigen Lebensmitteldosen z. B. Wasabi-Nüsse
), was dafür sorgt das keine Feuchtigkeit aufkommt und der Pollen nicht schimmelt. Das Ganze kommt dann in den Kühlschrank, vor der Verwendung sollte die Filmdose rechtzeitig entnommen werden, damit sie vor dem öffnen sich auf Zimmertremperatur erwärmen kann, sonst bildet sich Kondenswasser. Mit der Methode hab ich bei Helleborus gute Erfahrungen gemacht, der Versuch mit Kamelienpollen scheint auch zu funktionieren, zumindest hat sich in diesem Jahr ein Kapsel mit zwei Monate gelagerten Pollen von Tama-no-ura gebildet. LG., Oliver


Ein schattiger Garten ist mehr als ein Garten ohne Sonne.
Re:Kamelien: Wie vermehre ich sie?
Dann sollte das ja kein Problem sein.Mal schauen wer als Pollenspender herhalten muss. ;DShishigashira und Mouchang wären doch ein tolles Pärchen oder? 

-
- Master Member
- Beiträge: 17899
- Registriert: 2. Jun 2005, 07:24
- Kontaktdaten:
-
Hamburg-Altona, Whz 8a
Re:Kamelien: Wie vermehre ich sie?
Ja, das könnte ich mir gut vorstellen. 

Ein schattiger Garten ist mehr als ein Garten ohne Sonne.
-
- Beiträge: 698
- Registriert: 15. Sep 2007, 21:35
- Kontaktdaten:
Re:Kamelien: Wie vermehre ich sie?
@Ich bewahre meine Pollen in Gelatinekapseln auf.http://www.kapselwelt.de/shop/side_prin ... pid=2Diese gebe ich dann mit Küchenpapier in eine Streichholzschachtel und dann lagere ich sie im Kühlschrank.Den Pollen ernte ich mit einer,aus den Kaufmannsladen,kleinen Schaufel und mit einen Holzzahnstocher Stäbchen. Dann fülle ich sie in die obern genanten Kapseln ab.LGAndrea
- Violatricolor
- Beiträge: 3674
- Registriert: 18. Dez 2006, 10:04
Re:Kamelien: Wie vermehre ich sie?
Das ist ja sehr praktisch und Platz sparend! Das Beschriften ist dadurch ja auch ziemlich vereinfacht.Vielen Dank für den Tip! :)LGViolatricolor@Ich bewahre meine Pollen in Gelatinekapseln auf.http://www.kapselwelt.de/shop/side_prin ... pid=2Diese gebe ich dann mit Küchenpapier in eine Streichholzschachtel und dann lagere ich sie im Kühlschrank.Den Pollen ernte ich mit einer,aus den Kaufmannsladen,kleinen Schaufel und mit einen Holzzahnstocher Stäbchen. Dann fülle ich sie in die obern genanten Kapseln ab.LGAndrea
-
- Beiträge: 864
- Registriert: 15. Okt 2005, 14:40
- Kontaktdaten:
Re:Kamelien: Wie vermehre ich sie?
hallo
,schaut mal der erste Guernsey Steckling hat es geschafft vom Moos in die Erde und kriegt doch tatsächlich schon eine Blüte
die nächste Denksportaufgabe
lgklunkerfrosch





♥ magic is something you make ♥
- Violatricolor
- Beiträge: 3674
- Registriert: 18. Dez 2006, 10:04
Re:Kamelien: Wie vermehre ich sie?
Prima! und wie das Blatt so schön glänzt! Jetzt sind wir aber gespannt, was aus der Knospe kommt! :oLGViolatricolor
Re:Kamelien: Wie vermehre ich sie?
Ich möchte euch wieder von meiner Kinderstube berichten.Die Veredelungen, die ich euch gezeigt hatte, haben alle Blätter verloren.
Dafür treiben die Unterlagen wieder aus.Die Kopfstecklinge davon hatte ich wieder ins Wasserglas gestellt. Was passiert ist, seht ihr auf den Fotos
100% Erfolg. Ich hoffe ihr könnt die kleinen Würzelchen erkennen.

-
- Master Member
- Beiträge: 17899
- Registriert: 2. Jun 2005, 07:24
- Kontaktdaten:
-
Hamburg-Altona, Whz 8a
Re:Kamelien: Wie vermehre ich sie?
Wow!
Toll, ich gratuliere! :DWer hätte das gedacht, die kleinen haben einen beachtlichen Lebenswillen. 


Ein schattiger Garten ist mehr als ein Garten ohne Sonne.