News: Problem bei der Anmeldung? Bitte Mail über das Kontaktformular ganz unten! | garten-pur unterstützen mit einer Spende oder über das Partnerprogramm!
Tomatenkrankheit? (Gelesen 9651 mal)
Tomatenkrankheit?
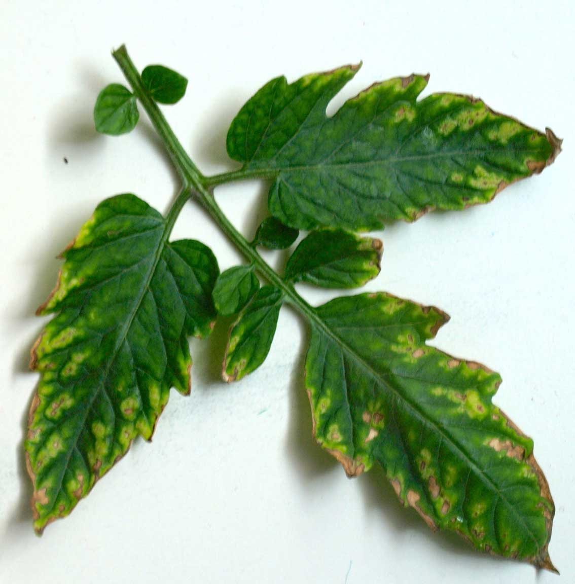
Hallo alle zusammen,meine Tomaten im Gewächshaus weisen seit ein paar Tagen an manchen Stellen diese Blattverfärbung auf. Es tritt bei den Strauchtomaten ebenso wie bei den Cocktailtomaten auf. Eine automatische Bewässerung sorgt für genügend Feuchtigkeit.Danke... cartho
Re:Tomatenkrankheit?
Dünge mal mit einem Kaliumbetonten Dünger
Re:Tomatenkrankheit?
Das ist ein Salzschaden. Ich würde den nicht so tragisch nehmen.Marygold hat recht.
„Am Ende entscheidet die Wirklichkeit.“ Robert Habeck
Re:Tomatenkrankheit?
Danke, das ging aber flott... 

Re:Tomatenkrankheit?
Tja, so simmer halt.
Ach ja, willkommen im Forum!


Re:Tomatenkrankheit?
Danke
Eh ich jetzt anfange zu suchen, was ein kaliumbetonter Dünger ist, vielleicht ein kleiner Tipp? Ich habe eigentlich nur immer Tomatendünger beim Pflanzen verwendet und alle zwei Jahre Düngekalk im Herbst. Da meine Tomaten aber im letzten Jahr frühzeitig welk wurden, dachte ich, dass ich überdüngt hätte. Welchen Dünger soll ich denn nun nehmen?

Re:Tomatenkrankheit?
Hier im Forum gibt es einen Daniel. Der sagt Dir das ganz genau. Ich denke, Daniel wird sich morgen melden.
„Am Ende entscheidet die Wirklichkeit.“ Robert Habeck
Re:Tomatenkrankheit?
Wird unter der Bezeichnung Patentkali oder Kalimagnesia verkauft.Daniel hat da allerdings noch viiiel mehr Ahnung.Holzasche ist auch reich an Kali, die kann man bei der Pflanzung mit ins Pflanzloch geben.
Re:Tomatenkrankheit?
Krankheiten können Tomaten auch im Gewächshaus bekommen. da hilft viel lüften, kann ruhig Durchzug sein.
Re:Tomatenkrankheit?
super, danke, das macht ja richtig Spaß mit Euch.... da quält man sich über Jahre, bis man mal auf die Idee kommt im Forum zu fragen 

- Dunkleborus
- Beiträge: 8901
- Registriert: 24. Nov 2008, 19:03
- Kontaktdaten:
Re:Tomatenkrankheit?
Die Bewässerung geht aber nicht über die Blätter? Herzlich willkommen, übrigens.

Alle Menschen werden Flieder
Re:Tomatenkrankheit?
Nein, das ist ein am Boden liegender Bewässerungsschlauch. Im Gewächshaus sind auch Paprikapflanzen, die werden von oben bewässert. Übrigens habe ich daran jedes Jahr Blattläuse, denen ich mit Kaltwasserauszug von Brennnesseln zu Leibe rücke. Habt Ihr da noch ne bessere Idee?
Re:Tomatenkrankheit?
Gesteinsmehl hilft auch. Und die Ameisennester im Gewächshaus bekämpfen, am besten mit einem heftigen Wasserguss regelmäßig auf die Nester.
- Mediterraneus
- Beiträge: 28681
- Registriert: 7. Feb 2011, 11:41
- Region: Südspessart
- Höhe über NHN: Ort: 195-450m, Garten: 310-315m
- Bodenart: Roter Buntsandstein
- Winterhärtezone: 7a: -17,7 °C bis -15,0 °C
Re:Tomatenkrankheit?
Genau das ist mir letztes Jahr auch passiert, nachdem ich zuviel Blaukorn erwischt hatte. Das mit dem Salzschaden könnte deshalb durchaus auch sein. D.H. zuviel gedüngt.DankeEh ich jetzt anfange zu suchen, was ein kaliumbetonter Dünger ist, vielleicht ein kleiner Tipp? Ich habe eigentlich nur immer Tomatendünger beim Pflanzen verwendet und alle zwei Jahre Düngekalk im Herbst. Da meine Tomaten aber im letzten Jahr frühzeitig welk wurden, dachte ich, dass ich überdüngt hätte. Welchen Dünger soll ich denn nun nehmen?
LG aus dem südlichen Main-Viereck
Mediterraneus
Andere haben schließlich auch irgendeine Ahnung
Mediterraneus
Andere haben schließlich auch irgendeine Ahnung
Re:Tomatenkrankheit?
Ich tippe eher auf ein Magnesiummangel. Deswegen ist verrotterter Pferdemist so gut für Tomaten geeignet ist, der hat einen guten Magnesiumsgehalt. Aber auch nicht übertreiben, sonnst gibt es zu viel an Stickstoff. Ich bin immer sehr entspannt bei Mangelerscheinungen, besonders an den unteren Blätter - die Pflanze hat was daras rausgeholt, muss auch nicht perfekt ausschauen.
Liebe Grüße
Irina
Irina