News: Problem bei der Anmeldung? Bitte Mail über das Kontaktformular ganz unten! | garten-pur unterstützen mit einer Spende oder über das Partnerprogramm!

Phloxgarten IV - 2016 (Gelesen 726654 mal)

Einjährige, Zweijährige, mehrjährige Stauden, Farne, Gräser, Zwiebelpflanzen ...

Moderatoren: Nina, Phalaina, AndreasR

Antworten
Inken

Re: Phloxgarten IV - 2016

Inken » Antwort #4695 am:

W hat geschrieben: 7. Sep 2016, 16:51
Trotz Spätfrösten und heftigem Hagel Ende Mai und den viel zu trockenen Monaten Juni/Juli/August war/ist es ein gutes PhloxJahr :D Einen kleinen Eindruck bekommt man von diesem Bild, das einen Ausschnitt des im letzten Herbst neu angelegten PhloxBeetes zeigt.


Das sieht klasse aus! :D Ich kann gar nicht oft genug hinschauen. Jetzt?! :o :D Neid. :-[ ;)

Bei mir blühen Reste. Plus die neu gepflanzten 'Kirmesländler' und 'Mrs. Milly van Hoboken'. Nun ja ...
blommorvan

Re: Phloxgarten IV - 2016

blommorvan » Antwort #4696 am:

W hat geschrieben: 8. Sep 2016, 08:36
Da ich aber keine benamten Sorten vorweisen kann, werde ich mich aus diesem Faden zurück ziehen


Das ist aber keine gute Idee :(
Benutzeravatar
Guda
Beiträge: 4393
Registriert: 2. Feb 2007, 00:30

Re: Phloxgarten IV - 2016

Guda » Antwort #4697 am:

Bellis65 hat geschrieben: 7. Sep 2016, 20:37

Übrigens wäre jemand so freundlich ein Foto von 'Wildfang' zu posten?

Heuer haben mich einige Sorten mit mir bisher ungewöhnlichen Veränderungen überrascht. Wäre ich nicht absolut sicher, dass es sich um "echte" Sorten handelte, wäre der Kompost angewachsen.
'Wildfang' gehört auch dazu. Die für ihn fließenden, verschwommenen Farben waren dieses Jahr einfach nicht vorhanden. Und die sind ja gerade das Sortentypische. Deshalb wage ich nicht bei Deinem Bild die Stirn zu runzeln; typisch ist die Zeichnung nicht - aber alles ist möglich :).

Vergleiche, bitte mal, ob Du ähnliche Blüten bei Deinem W. entdecken konntest, so oder ähnlich sollte er sein.
Bild Bild Bild Bild

'Wildfang' - die ersten drei Bilder sind vom letzten Jahr, so sah er je nach Witterung bisher immer aus; Standort volle Sonne. Das vierte Bild zeigt ihn 2016: umgepflanzt, lichter Schatten ab ca 12.00. Vielleicht braucht er mehr Sonne, um gut auszufärben?
Dateianhänge
wildfang (5).JPG
Wühlmaus
Beiträge: 9813
Registriert: 8. Apr 2015, 19:47
Kontaktdaten:

Raue Ostalb, 6b, Tallage 500m üNN

Re: Phloxgarten IV - 2016

Wühlmaus » Antwort #4698 am:

@Inken und blommorvan
Wenn ihr meint...

Die Überschrift dieses Fadens finde ich so schön "Phloxgarten" :D Und ich bin wirklich eine PhloxBegeisterte!
Aber mir ist hier irgendwie dieser "Garten" abhanden gekommen. Der Phlox scheint mir "nur noch" auf seine Einzelblüte reduziert zu werden. Seine wunderbare Eigenschaft als DIE luftig-duftige Sommerblume schlechthin in einem sommerlichen Staudenbeet ist ein wenig in den Hintergrund gerückt :-\ Das hat nichts damit zu tun, ob die einzelnen Phloxe nun Namen haben haben oder nicht.

Inken hat geschrieben: 8. Sep 2016, 09:19
Jetzt?! :o :D Neid. :-[ ;)


Ja - jetzt, bzw. von letzter Woche :D Und es sind die Reste 8)

Und noch etwas zum Hagelschaden Ende Mai: er war ja wirklich heftig. Aus verschiedenen Gründen habe ich nur eine Pflanze ganz zurück geschnitten. Das kann ich nicht unbedingt zur Nachahmung empfehlen. Diese Pflanze hat sich unendlich schwer getan und ist erst dies Woche zur Blüte gekommen. Alle anderen Phloxe haben sich wunderbar erholt und die durch den Hagel entstandenen Wunden an den Stängeln sind bestens verheilt. Es hat sich ein dicke Kallusschicht gebildet und die Stängel sind so deutlich stabiler als sonst. Pilzinfektionen haben absolut keine Rolle gespielt, das Laub ist kerngesund. Dagegen sind die ganzen Paeonien in diesem Beet total verpilzt und habe bereits seit Wochen kein gesundes bzw. gar kein Laub mehr!

Und das war Mitte August:

Dateianhänge
DSC_5141-Phlox im August_001.JPG
WühlmausGrüße

"Das Schiff ist sicherer, wenn es im Hafen liegt. Aber dafür wurde es nicht gebaut." Paulo Coelho
Wühlmaus
Beiträge: 9813
Registriert: 8. Apr 2015, 19:47
Kontaktdaten:

Raue Ostalb, 6b, Tallage 500m üNN

Re: Phloxgarten IV - 2016

Wühlmaus » Antwort #4699 am:

...und das auch :)

Dateianhänge
DSC_5142-Phlox im August_002.JPG
WühlmausGrüße

"Das Schiff ist sicherer, wenn es im Hafen liegt. Aber dafür wurde es nicht gebaut." Paulo Coelho
Benutzeravatar
Guda
Beiträge: 4393
Registriert: 2. Feb 2007, 00:30

Re: Phloxgarten IV - 2016

Guda » Antwort #4700 am:

W hat geschrieben: 8. Sep 2016, 08:36
Inken - das ist doch auch gut, richtig und wichtig so :D

Und dadurch hast besonders du zumindest bei mir die Wahrnehmung für Phloxe deutlich geschärft und ich betrachte meine Phloxe inzwischen mit einer ganz anderen Aufmerksamkeit!!!

Da ich aber keine benamten Sorten vorweisen kann, werde ich mich aus diesem Faden zurück ziehen und vielleicht noch das eine oder andere Bild bei den Sämlingen zeigen ;)

Schade, Wühlmaus!!
Wenn sich Deine Wahrnehmung geändert hat, könnte sich doch auch der Appetit verlagern? Nur unbenannte Pflanzen im Garten zu haben, bedeutet in meinen Augen, dass ich bei Gefallen eines Bildes (z.Bsp.) kaum eine Möglichkeit habe, jemals die gleiche oder zumindest ähnliche Pflanze in meinen Garten zu holen.
Benutzeravatar
Guda
Beiträge: 4393
Registriert: 2. Feb 2007, 00:30

Re: Phloxgarten IV - 2016

Guda » Antwort #4701 am:

Was Du schreibst, ist sehr interessant, Wühlmaus. Und diese Erfahrungen sind für den "Phloxgarten" auch sehr wichtig - wo sonst sucht man solche Informationen?
Beim Überdenken ist das ganz einleuchtend 8): Hagel verursacht Wunden; Wunden lassen Pilze ein und alles weitere kennt man :(

Kannst Du für Nichtwissende noch schreiben: wie tief hast Du die Phloxe herunter geschnitten?

Haben sich alle anschließend gleich entwickelt und trieben zügig aus? Hast Du mit Dünger / Wasser nachgeholfen?

Ich wage es nur zu flüstern, ich habe bisher noch nie einen richtigen Hagelschaden gehabt; Dächer wurden abgedeckt, aber Hagel?!

Wühlmaus
Beiträge: 9813
Registriert: 8. Apr 2015, 19:47
Kontaktdaten:

Raue Ostalb, 6b, Tallage 500m üNN

Re: Phloxgarten IV - 2016

Wühlmaus » Antwort #4702 am:

Guda, ich hatte nur eine Pflanze zurück geschnitten - auf ca. 15cm.
Und nein - aus verschiedenen Gründen mussten "den Rest" die Pflanzen alleine schaffen :-[ Zum Glück hat es geklappt :D
WühlmausGrüße

"Das Schiff ist sicherer, wenn es im Hafen liegt. Aber dafür wurde es nicht gebaut." Paulo Coelho
Benutzeravatar
Noodie
Beiträge: 1796
Registriert: 18. Mai 2006, 16:47

Re: Phloxgarten IV - 2016

Noodie » Antwort #4703 am:

@ Wühlmaus

Ich würde mich freuen, wenn Du hier weiter schreibst und mit uns Erfahrungen austauschst.
Übrigens liebe ich namenlose Phloxe ebenso wie benamte oder gar historische Sorten! Es fällt mir auch nicht ein, sie strikt nach Beeten zu trennen.
Den Wunsch, mehr Beetsituationen mit Phlox hier einzubringen, teile ich mit Dir.
Nahaufnahmen sind für mich nicht nur wichtig, um einen Phlox zu identifizieren, sondern auch, um die ganze Schönheit der Blüte, jede Farbnuance, beim Betrachten voll in mich aufnehmen und genießen zu können.
blommorvan

Re: Phloxgarten IV - 2016

blommorvan » Antwort #4704 am:

Ich knipse meistens nur die Blüte, damit ich aussagekräftige Bildchen für den Verkauf bekomme. ;) An Garten erinnert im Moment auf meinem Grundstück wenig. :-[
EmmaCampanula

Re: Phloxgarten IV - 2016

EmmaCampanula » Antwort #4705 am:


Also in den hier könnte ich mich echt verlieben! :D Hab ich vielleicht auch schon. 8)

W hat geschrieben: 7. Sep 2016, 17:06
Hier ist er ein wenig näher zu sehen:
Nachtrag: Blütendurchmesser ca. 3cm

Bild
Wühlmaus
Beiträge: 9813
Registriert: 8. Apr 2015, 19:47
Kontaktdaten:

Raue Ostalb, 6b, Tallage 500m üNN

Re: Phloxgarten IV - 2016

Wühlmaus » Antwort #4706 am:

Emma - und Er liebt die SpätsommerSonne. Da kommen seine Farbe so richtig zum Leuchten. Und einen Namen und Züchter hat er nun wohl auch: ´Orange` von Schöllhammer. (Dank für die Info!)

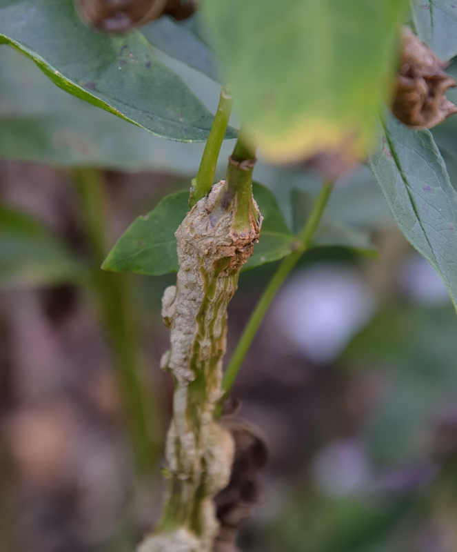
Nun habe ich zwei Aufnahmen von dieser starken Kallusbildung gemacht.
Dateianhänge
DSC_5659-PhloxKallus_005.JPG
WühlmausGrüße

"Das Schiff ist sicherer, wenn es im Hafen liegt. Aber dafür wurde es nicht gebaut." Paulo Coelho
Wühlmaus
Beiträge: 9813
Registriert: 8. Apr 2015, 19:47
Kontaktdaten:

Raue Ostalb, 6b, Tallage 500m üNN

Re: Phloxgarten IV - 2016

Wühlmaus » Antwort #4707 am:

Und hier war die Triebspitze abgeschlagen. Die Wunde wurde verschlossen und zwei neue Triebe sprossen:

Dateianhänge
DSC_5661-PhloxKallus_004.JPG
WühlmausGrüße

"Das Schiff ist sicherer, wenn es im Hafen liegt. Aber dafür wurde es nicht gebaut." Paulo Coelho
Benutzeravatar
martina 2
Beiträge: 14445
Registriert: 9. Mär 2005, 14:11
Region: Waldviertel, nordwestliches Niederösterreich
Höhe über NHN: 850 m
Bodenart: Urgestein, Sand
Winterhärtezone: 5a: -28,8 °C bis -26,2 °C

Re: Phloxgarten IV - 2016

martina 2 » Antwort #4708 am:

Ein paar Phloxphotos hab ich aus dem Waldviertel mitgebracht - mit ein paar Fragen :)

Mitte Juli eröffnet immer der alte rosa-weiße Phlox aus einem bäuerlichen Garten, der seit Ewigkeiten weitergereicht wird. Unlängst bin ich über einem Bild von 'Eva Foerster' gesessen und fand, daß er zumindest ähnlich ist - aber kaum anzunehmen, daß es den in Waldviertler Bauerngärten verschlagen hat :-\

Letztes Jahr schien er etwas zu schwächeln, aber nun hat er sich wieder erholt:

(Norna, schau mal ;))
Dateianhänge
phloxetz1.img.JPG
Schöne Grüße aus Wien!
Inken

Re: Phloxgarten IV - 2016

Inken » Antwort #4709 am:

W hat geschrieben: 8. Sep 2016, 14:50
Emma - und Er liebt die SpätsommerSonne. Da kommen seine Farbe so richtig zum Leuchten. Und einen Namen und Züchter hat er nun wohl auch: ´Orange` von Schöllhammer. (Dank für die Info!)


'Orange' halte ich ebenfalls für am wahrscheinlichsten, wenn es eine Sorte ist. Spät blühend, und so viel orangerote alte Phloxe gibt es nicht. Auf jeden Fall ist die leuchtende Farbe extra! :D
Antworten