News: Problem bei der Anmeldung? Bitte Mail über das Kontaktformular ganz unten! | garten-pur unterstützen mit einer Spende oder über das Partnerprogramm!

Was ist das für ein Insekt (Gelesen 46164 mal)

Tiere beobachten, schützen und erkennen

Moderator: partisanengärtner

Antworten
Benutzeravatar
marygold
Beiträge: 9359
Registriert: 29. Feb 2008, 17:34
Kontaktdaten:

Re: Was ist das für ein Insekt

marygold » Antwort #120 am:

Habe gestern ein lustiges Tierchen gesehen. Was ist das?

mit -im Verhältnis zur Körpergröße- großen Fühlern

Bild

Bild

Und deutlichen Abwehrbewegungen als ich mich mit der Kamera näherte:

Bild

Ich dachte zunächst, es handelt sich um eine Spinne. Aber die haben doch Beißwerkzeuge und keinen Rüssel, oder?
Benutzeravatar
dmks
Beiträge: 4527
Registriert: 18. Jul 2011, 08:45
Wohnort: bei Forst/Lausitz
Region: 24 Einwohner/km² (Ortslage)
Höhe über NHN: 67m
Bodenart: sandiger Lehm und lehmiger Sand

Staatlich anerkannter Steuerzahler

Re: Was ist das für ein Insekt

dmks » Antwort #121 am:

Ist ein Käfer. Spinnen haben zwei Beine mehr. ;)
(weswegen sie schlecht laufen können und zur sicheren Fortbewegung mitunter ein Netz benötigen.)
Heute war gut!
Morgen - sehen wir dann.
Benutzeravatar
Gartenplaner
Beiträge: 21868
Registriert: 26. Nov 2010, 22:07
Wohnort: Süden Luxemburgs, ein paar Kilometer von der französischen Grenze
Region: „Gutland“, Süden Luxemburgs
Höhe über NHN: 274-281
Bodenart: „Töpfer“lehm
Winterhärtezone: 8a: -12,2 °C bis -9,5 °C
Kontaktdaten:

Nitwit! Blubber! Oddment! Tweak!

Re: Was ist das für ein Insekt

Gartenplaner » Antwort #122 am:

Und 8 Beine
;D
Zu langsam ;)
Wer meinen Lern-Garten sehen will - unterm Goldfrosch-Bild den Globus klicken!

Erich Kästner, (1933/46), Ein alter Mann geht vorüber

“Frei zu sein bedeutet nicht nur seine eigenen Ketten abzulegen, sondern sein Leben so respektvoll zu leben, dass es die Freiheit anderer steigert.“ Nelson Mandela
Benutzeravatar
marygold
Beiträge: 9359
Registriert: 29. Feb 2008, 17:34
Kontaktdaten:

Re: Was ist das für ein Insekt

marygold » Antwort #123 am:

dmks hat geschrieben: 3. Jul 2019, 22:16
Ist ein Käfer. Spinnen haben zwei Beine mehr. ;)


stimmt, bin ich doof :-[
Benutzeravatar
Zwiebeltom
Beiträge: 6825
Registriert: 12. Feb 2009, 08:55

Re: Was ist das für ein Insekt

Zwiebeltom » Antwort #124 am:

Ich glaube, ich bin bei den Wanzen fündig geworden. Vergleicht mal hier mit den Larven der Braunen Randwanze.
Das Leben ist kein Ponyschlecken.
Wühlmaus
Beiträge: 9813
Registriert: 8. Apr 2015, 19:47
Kontaktdaten:

Raue Ostalb, 6b, Tallage 500m üNN

Re: Was ist das für ein Insekt

Wühlmaus » Antwort #125 am:

Ob es nicht eine Wanze ist?
Die Bilder sind super :D
WühlmausGrüße

"Das Schiff ist sicherer, wenn es im Hafen liegt. Aber dafür wurde es nicht gebaut." Paulo Coelho
Benutzeravatar
Gartenplaner
Beiträge: 21868
Registriert: 26. Nov 2010, 22:07
Wohnort: Süden Luxemburgs, ein paar Kilometer von der französischen Grenze
Region: „Gutland“, Süden Luxemburgs
Höhe über NHN: 274-281
Bodenart: „Töpfer“lehm
Winterhärtezone: 8a: -12,2 °C bis -9,5 °C
Kontaktdaten:

Nitwit! Blubber! Oddment! Tweak!

Re: Was ist das für ein Insekt

Gartenplaner » Antwort #126 am:

Mit dem Rüssel hab ich auch in Richtung Wanze gedacht, Pflanzensäfte saugen oder so...
Wer meinen Lern-Garten sehen will - unterm Goldfrosch-Bild den Globus klicken!

Erich Kästner, (1933/46), Ein alter Mann geht vorüber

“Frei zu sein bedeutet nicht nur seine eigenen Ketten abzulegen, sondern sein Leben so respektvoll zu leben, dass es die Freiheit anderer steigert.“ Nelson Mandela
Benutzeravatar
marygold
Beiträge: 9359
Registriert: 29. Feb 2008, 17:34
Kontaktdaten:

Re: Was ist das für ein Insekt

marygold » Antwort #127 am:

Zwiebeltom hat geschrieben: 3. Jul 2019, 22:19
Ich glaube, ich bin bei den Wanzen fündig geworden. Vergleicht mal hier mit den Larven der Braunen Randwanze.


cool, danke, ja das passt. :D :D :D
Benutzeravatar
Gartenplaner
Beiträge: 21868
Registriert: 26. Nov 2010, 22:07
Wohnort: Süden Luxemburgs, ein paar Kilometer von der französischen Grenze
Region: „Gutland“, Süden Luxemburgs
Höhe über NHN: 274-281
Bodenart: „Töpfer“lehm
Winterhärtezone: 8a: -12,2 °C bis -9,5 °C
Kontaktdaten:

Nitwit! Blubber! Oddment! Tweak!

Re: Was ist das für ein Insekt

Gartenplaner » Antwort #128 am:

Zwiebeltom hat geschrieben: 3. Jul 2019, 22:19
... hier mit den Larven der Braunen Randwanze.


Passt - die legt goldene Eier :o :o ;D
Wer meinen Lern-Garten sehen will - unterm Goldfrosch-Bild den Globus klicken!

Erich Kästner, (1933/46), Ein alter Mann geht vorüber

“Frei zu sein bedeutet nicht nur seine eigenen Ketten abzulegen, sondern sein Leben so respektvoll zu leben, dass es die Freiheit anderer steigert.“ Nelson Mandela
Benutzeravatar
Gartenplaner
Beiträge: 21868
Registriert: 26. Nov 2010, 22:07
Wohnort: Süden Luxemburgs, ein paar Kilometer von der französischen Grenze
Region: „Gutland“, Süden Luxemburgs
Höhe über NHN: 274-281
Bodenart: „Töpfer“lehm
Winterhärtezone: 8a: -12,2 °C bis -9,5 °C
Kontaktdaten:

Nitwit! Blubber! Oddment! Tweak!

Re: Was ist das für ein Insekt

Gartenplaner » Antwort #129 am:

Ich hätt auch noch 3 Kerlchen:

Bild

Müsste wohl Apoderus coryli, der Haselblattroller sein, was gut passt, da ich ihn im Farnbeet unter der Hasel sah.

Bild

Die grünen Käfer, müsste wohl der grüne Scheinbockkäfer (Oedemera nobilis)sein, scheinen das Jakobskreuzkraut sehr zu mögen, hab immer wieder welche an den Blüten gesehen...
Wer meinen Lern-Garten sehen will - unterm Goldfrosch-Bild den Globus klicken!

Erich Kästner, (1933/46), Ein alter Mann geht vorüber

“Frei zu sein bedeutet nicht nur seine eigenen Ketten abzulegen, sondern sein Leben so respektvoll zu leben, dass es die Freiheit anderer steigert.“ Nelson Mandela
Conni

Re: Was ist das für ein Insekt

Conni » Antwort #130 am:

marygold hat geschrieben: 3. Jul 2019, 22:14
Habe gestern ein lustiges Tierchen gesehen. Was ist das?

Und deutlichen Abwehrbewegungen als ich mich mit der Kamera näherte:



Das letzte Bild ist einfach umwerfend, grandios und lustig, wie ein Kampfzwerg, winzig zwar, aber wutentbrannt und wildentschlossen, allem zu trotzen, so klasse! :D

Hast Du das Tierchen auf Himbeeren gefunden? Da sitzen sie bei mir regelmäßig.
Benutzeravatar
marygold
Beiträge: 9359
Registriert: 29. Feb 2008, 17:34
Kontaktdaten:

Re: Was ist das für ein Insekt

marygold » Antwort #131 am:

Conni hat geschrieben: 3. Jul 2019, 22:29
grandios und lustig, wie ein Kampfzwerg, winzig zwar, aber wutentbrannt und wildentschlossen, allem zu trotzen, so klasse! :D

Hast Du das Tierchen auf Himbeeren gefunden? Da sitzen sie bei mir regelmäßig.


Nein, auf meinem Wasserglas. :D Aber ich habe vorher tatsächlich Himbeeren gegessen. Vielleicht ist der kleine Kampfzwerg nur knapp dem Tode durch Gefressenwerden entkommen? :-X
Benutzeravatar
marygold
Beiträge: 9359
Registriert: 29. Feb 2008, 17:34
Kontaktdaten:

Re: Was ist das für ein Insekt

marygold » Antwort #132 am:

Dann ist das die tanzende Wanze, auf der Mauer auf der Lauer?

Jetzt ergibt die Liedzeile einen Sinn. Danke, Tom noch einmal
Flora1957
Beiträge: 1261
Registriert: 6. Apr 2018, 19:39

Re: Was ist das für ein Insekt

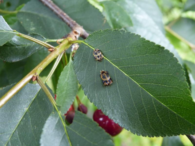
Flora1957 » Antwort #133 am:

Diese beiden mir Unbekannten sitzen auf einem Blatt der Sauerkirsche Morina.
Dateianhänge
P1060278.JPG
Klimazone 8a (Innenstadtgarten 8b)
Flora1957
Beiträge: 1261
Registriert: 6. Apr 2018, 19:39

Re: Was ist das für ein Insekt

Flora1957 » Antwort #134 am:

Weiß jemand, was für eine Grille dies ist?
Dateianhänge
P1060279.JPG
Klimazone 8a (Innenstadtgarten 8b)
Antworten