News: Problem bei der Anmeldung? Bitte Mail über das Kontaktformular ganz unten! | garten-pur unterstützen mit einer Spende oder über das Partnerprogramm!
Chimonanthus praecox, die Winterblüte (Gelesen 44011 mal)
Moderator: AndreasR
Re: Chimonanthus praecox, die Winterblüte
du hast mich schon lange überflügelt! :D
“I love science, and it pains me to think that so many are terrified of the subject or feel that choosing science means you cannot also choose compassion, or the arts, or be awed by nature. Science is not meant to cure us of mystery, but to reinvent and reinvigorate it.”
— Robert M. Sapolsky
— Robert M. Sapolsky
- Krokosmian
- Beiträge: 14572
- Registriert: 17. Mär 2015, 20:51
Re: Chimonanthus praecox, die Winterblüte
Krokosmian hat geschrieben: ↑28. Jun 2020, 18:32Krokosmian hat geschrieben: ↑19. Dez 2019, 22:08
Die Blütenknospen sieht man... im Sommer, mir sind sie ungefähr in guter Stecknadelkpfgröße Mitte August in Blattachseln aufgefallen, wahrscheinlich waren sie schon vorher zu erkennen.
[/quote]
Möglich, dass ich mich gewalttätig vertue und blamiere, aber meiner Meinung sind das in den oberen Blattachseln die Blütenknospen für den nächsten Winter. Ist die etwas ältere Pflanze die ich als normale Art bekommen habe, an den anderen drei (Sorten) ist auf den ersten Blick nichts zu sehen. War klar!
[quote author=pearl link=topic=58300.msg3516548#msg3516548 date=1593362760]
wir beobachten das! ;)
Ganz daneben gelegen hatte ich anscheinend nicht, die Blütenknospen sind wohl schon ein halbes Jahr vor dem Auftritt zu erkennen. Und jetzt natürlich deutlich größer, auf dem Bild wieder die noch Laub tragende "Normale". Wer also bei seinen frühzeitig spicken will...
.
Erfreulich außerdem, dass auch an einer von zwei `Luteus´, an `Concolor´ und an der mit "Grandiflorus" Benamten wenigstens einzelne dran hängen. Die sind zwar alle noch keine echten Büsche, lassen dann aber wenigstens was erahnen wie sie später mal wirken könnten!
.
Edit, falsches Zitat ausgewechselt.
- Herbergsonkel
- Beiträge: 1720
- Registriert: 31. Jul 2016, 21:21
- Kontaktdaten:
-
nördl. Berlin|48m ü NN | 7a
- Herbergsonkel
- Beiträge: 1720
- Registriert: 31. Jul 2016, 21:21
- Kontaktdaten:
-
nördl. Berlin|48m ü NN | 7a
Re: Chimonanthus praecox, die Winterblüte
und andere werden bald folgen (bei passendem Wetter)
- Jule69
- Beiträge: 22004
- Registriert: 9. Jan 2008, 15:57
- Region: Rheinnähe
- Winterhärtezone: 8b: -9,4 °C bis -6,7 °C
Re: Chimonanthus praecox, die Winterblüte
Endlich...Geduld zahlt sich aus...und ich war wirklich fast 2 Jahre geduldig, freu mich wie Bolle, in den nächsten Jahren könnte da aber durchaus mehr kommen....


Liebe Grüße von der Jule
Es genügt nicht, mit den Pflanzen zu sprechen, man muss ihnen auch zuhören.
Es genügt nicht, mit den Pflanzen zu sprechen, man muss ihnen auch zuhören.
Re: Chimonanthus praecox, die Winterblüte
Jule, Deine Freude kann ich mitfühlen!
Mein Strauch blüht auch zum ersten Mal.Gespannt bin ich auf den Duft.
Mein Strauch blüht auch zum ersten Mal.Gespannt bin ich auf den Duft.
Gruß aus der Eulenspiegelstadt
- Krokosmian
- Beiträge: 14572
- Registriert: 17. Mär 2015, 20:51
Re: Chimonanthus praecox, die Winterblüte
Letztes bzw. vorletztes Jahr habe ich zwei `Luteus´ (Herrenkamper, Arborealis) und eine `Concolor´ (Arborealis) bekommen, erst nochmal umgetopft, "zwischen den Jahren" gepflanzt und als der Dauerfrost angerauscht kam die zwei mit Knospen (`Luteus´/Hk und `Concolor´) schnell wieder rausgezogen. Die Eistage haben sie dann gerade so frostfrei verbracht, wollte halt einfach die Blüten sehen. Heute wurden sie dann erneut versenkt und vorher noch kurz nebeneinander gestellt. Wobei ich den ganz großen Unterschied, sofern vorhanden, irgendwie nicht erkennen konnte :-\, aber sie sind ja auch noch recht klein. Und vielleicht trägt die zweite `Luteus´ nächstes Jahr noch was bei...
.
Ob sie noch weiter aufgehen weiß ich nicht, im Netzt findet man öfter Bilder mit so einer Glöckchenform. Jedenfalls habe beide ganz hellgelbe Blüten, ohne rot innen, der Duft ist wie bei den Normalen durchdringend!
.
Das Bild ist mäßig, besser wäre außerdem ein dunkler Hintergrund gewesen, aber den konnte ich nicht einfach aus der Tasche ziehen. Links `Luteus´/Hk, rechts `Concolor´.
.
Ob sie noch weiter aufgehen weiß ich nicht, im Netzt findet man öfter Bilder mit so einer Glöckchenform. Jedenfalls habe beide ganz hellgelbe Blüten, ohne rot innen, der Duft ist wie bei den Normalen durchdringend!
.
Das Bild ist mäßig, besser wäre außerdem ein dunkler Hintergrund gewesen, aber den konnte ich nicht einfach aus der Tasche ziehen. Links `Luteus´/Hk, rechts `Concolor´.
- Krokosmian
- Beiträge: 14572
- Registriert: 17. Mär 2015, 20:51
Re: Chimonanthus praecox, die Winterblüte
Noch eine Innenansicht der `Luteus´, die der Anderen sieht fast gleich aus.
Re: Chimonanthus praecox, die Winterblüte
am 5. Februar habe ich das Bild von Concolor gemacht. Eine Vergleichmöglichkeit habe ich ja nicht, aber ich war überracht und glücklich, dass die im ersten Jahr blüht. Mir kam die Sorte zitronengelb vor. Kräftig gefärbt.
“I love science, and it pains me to think that so many are terrified of the subject or feel that choosing science means you cannot also choose compassion, or the arts, or be awed by nature. Science is not meant to cure us of mystery, but to reinvent and reinvigorate it.”
— Robert M. Sapolsky
— Robert M. Sapolsky
- Krokosmian
- Beiträge: 14572
- Registriert: 17. Mär 2015, 20:51
Re: Chimonanthus praecox, die Winterblüte
In der Sonne schienen sie richtiggehend zu leuchten, aber "zitronengelb" und "kräftig gefärbt" sind sie beim besten Willen nicht :P. Mal schauen wie die dritte Pflanze, also zweite `Luteus´ nächstes Jahr (hoffentlich!) aussieht, die scheint mir zumindest vom Wuchs her was Anderes. Soweit man das bei so jungen Pflanzen überhaupt ersehen kann. Vielleicht war auch das Hin und Her etwas zu stressig, für die beiden armen Hascherln ;D.
- Jule69
- Beiträge: 22004
- Registriert: 9. Jan 2008, 15:57
- Region: Rheinnähe
- Winterhärtezone: 8b: -9,4 °C bis -6,7 °C
Re: Chimonanthus praecox, die Winterblüte
Endlich scheint es ihm hier zu gefallen, dieses Jahr hat er mächtig zugelegt
Chimonanthus praecox

Chimonanthus praecox

Liebe Grüße von der Jule
Es genügt nicht, mit den Pflanzen zu sprechen, man muss ihnen auch zuhören.
Es genügt nicht, mit den Pflanzen zu sprechen, man muss ihnen auch zuhören.
- helga7
- Beiträge: 5316
- Registriert: 12. Dez 2003, 19:03
- Wohnort: Klagenfurt am Wörthersee
- Region: Kärntner Seengebiet
- Höhe über NHN: 446m
- Bodenart: lehmig; schottrig
- Winterhärtezone: 7a: -17,7 °C bis -15,0 °C
Re: Chimonanthus praecox, die Winterblüte
Der ist sehr schön gewachsen - meiner krakeelt so vor sich hin....
Ciao
Helga
Helga
- Jule69
- Beiträge: 22004
- Registriert: 9. Jan 2008, 15:57
- Region: Rheinnähe
- Winterhärtezone: 8b: -9,4 °C bis -6,7 °C
Re: Chimonanthus praecox, die Winterblüte
;)


Liebe Grüße von der Jule
Es genügt nicht, mit den Pflanzen zu sprechen, man muss ihnen auch zuhören.
Es genügt nicht, mit den Pflanzen zu sprechen, man muss ihnen auch zuhören.
- Krokosmian
- Beiträge: 14572
- Registriert: 17. Mär 2015, 20:51
Re: Chimonanthus praecox, die Winterblüte
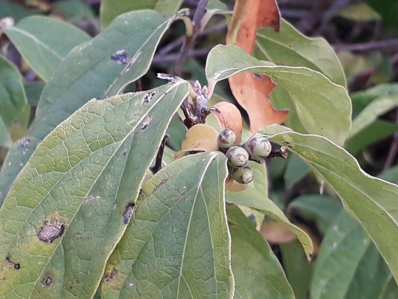
Hier sind diese marzipanfarbenen Kügelchen gerade teilweise auch am Platzen, zum dran riechen war es mir aber zu nass. Und, dass man es schon von weitem wahrnimmt, ist es noch zu wenig. Später dann! Die Pflanze ist nicht übervoll, aber doch reichlich besetzt. Leider ist dafür an den drei Reingelben, die miteinander verglichen werden wollen, gar nichts dran, typisch!
- Jule69
- Beiträge: 22004
- Registriert: 9. Jan 2008, 15:57
- Region: Rheinnähe
- Winterhärtezone: 8b: -9,4 °C bis -6,7 °C
Re: Chimonanthus praecox, die Winterblüte
Ich hab die Blüten auch nur durch Zufall gesehen...Duft habe ich an den beiden Sonnentage schon wahrnehmen können, aber wirklich ganz schwach...jetzt hoffe ich, dass der Strauch noch mehr Gas gibt... :D
Liebe Grüße von der Jule
Es genügt nicht, mit den Pflanzen zu sprechen, man muss ihnen auch zuhören.
Es genügt nicht, mit den Pflanzen zu sprechen, man muss ihnen auch zuhören.